
1
白露已过,寒意渐袭。
9月10日,南阳中心城区再次迎来集中土拍。
今天一共有13块国有建设用地出让,需要说明的是,大多数为房地产整治项目补手续。
其中,G2019—58、G2019—59、G2019—60地块为仲景路燕湖小区;G2019—17为世代家园项目;G2019—48、G2019—49为港岛盘龙阁项目。
另外,G2019—40(也是房地产整治项目)因*迁拆**纠纷终止出让。G2019—32为工业用地。
真正值得吃瓜群众关注的重头戏,只有两块住宅用地和三块商业用地。这五块地全部位于白河东岸的南阳新城区核心位置:三馆一院片区。

最终G2019—53地块经过40轮竞拍,被河南中梁汉置业有限公司竞得。成交总价为59500万元,折合每亩701万元,楼面价4205元/平方米。溢价率71.9%。

地块具体信息如下:
地块编号:G2019—53
位置:长江西一路东侧,机场南二路南侧
面积:56599.6平方米(84.899亩)
土地用途:城镇住宅用地
容积率:不大于2.5
建筑密度:不大于22%
绿地率:不小于40%
出让年限:70年
起拍价:34600万元
成交价:59500万元
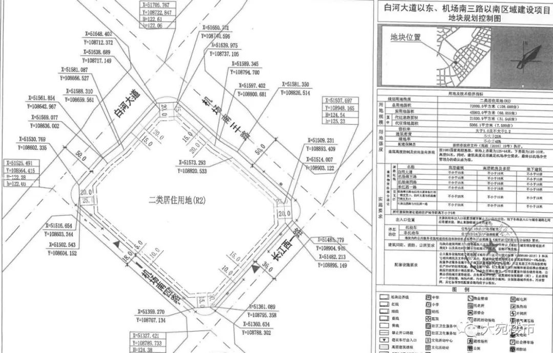
G2019—63地块同样经过40轮竞拍(很巧合),被河南领创置业有限公司竞得。成交总价为43100万元,折合每亩626万元,楼面价4268元/平方米。溢价率57.3%。

地块具体信息如下:
地块编号:G2019—63
位置:白河大道以东,机场南三路以南
面积:45903.0平方米(68.855亩)
土地用途:城镇住宅用地
容积率:不大于2.2
建筑密度:不大于25%
绿地率:不小于40%
出让年限:70年
起拍价:27400万元
成交价:43100万元
三块商业用地没有悬念,依旧沿袭之前的颓势,全部以流拍收场。
值得一提的是G2019—64,作为三川金融街二期用地,这是第三次流拍了。
2
一层秋雨一层凉。
有人说,今天土拍结果很明显,说明南阳楼市要走下坡路了。不到三个月,同样片区的楼面价就从6700滑落到了4200。
似乎是这么回事。
实事求是讲,三川之前所拿地价偏高。三馆一院片区目前的价值,并不匹配每亩982万的价格。就像今天,每亩700万左右,楼面价4200左右,反而是比较理性的价格区间。
当然,此役之后,作为三馆一院片区地王的三川,内心多少应该有一些惆怅。谁站得最高,谁感受到的凉意最浓。
历史总是惊人的相似。
2018年6月15日,常绿以每亩601万勇夺经十路地王,热浪翻滚。随后的8月8日,中梁拿下经十路G2018—38地块,每亩仅仅352万。
2019年6月13日,三川以每亩982万拿下三馆一院片区地王。今天,中梁再次出手,拿下黄金区位地块,仅仅用了每亩701万。4200的楼面价怎么也比经十路好卖。
中梁这两波操作如有神助,简直666。
土地市场太疯狂总归不是一件好事。南阳人需要更好的人居环境,更先进的居住产品,但是南阳人从来不欢迎高房价。
从最近的放地节奏来看,政府也是在呼应*意民**。更充足的土地供应,更理性的市场竞争,带来的必将是泡沫的驱逐,房价的稳定,供需两端的平衡。
3
我一向乐观认为,南阳未来看新区,新区未来看三馆一院。
拍地的前一天下午,我一个人在三馆一院附近转了一个多小时。眼前的景象令人五味杂陈。



这就是新区的标志性建筑,三馆一院。围挡内的空地上荒草已经有半人多高,一片狼藉,鸦雀无声。
看来前几日疯传的“三馆一院烂尾”文章并非空穴来风。
三馆一院是南阳市重点文化建设项目,由新建的图书馆、群众艺术馆、博物馆、大剧院四个项目组成,项目总建筑面积14.5万平方米,总投资18亿元。从2015年3月全面开工,如今工程建设将近过去五年......
真不忍心给三馆一院贴上烂尾的标签。但也实在不好意思再吹了。



▲这是中梁拿下的G2019—53地块。芳草萋萋。




▲这是领创拿下的G2019—63地块。长势喜人。

▲机场南二路尚未贯通


▲机场南三路尚未贯通,部分还是庄稼地。

▲站在G2019—64地块(二期用地)上看金融街一期

▲机场南一路部分贯通


▲南阳金融中心,一直很孤单
一座城市不能没有梦,但也不能一直做梦。
我依然相信南阳新城区的未来,但这个未来多久会来,心里并没有底。
正准备离开的时候,发现路边项目围挡上有几张广告单页。

扎心了。