出行前看到了地接社的跟拍图片,于是我俩也决定来一组水下跟拍。
先放一波水下跟拍的照片!





帕劳水下景点推荐:
帕劳被称赞的名称太多太多,特色的景点也是很多
1.之前很火的水母湖(现在的水母还在恢复当中)当然也是有个秘密水母湖,那里的水母不是很多。

2.帕劳牛奶湖,据说湖底是很早之前由于火山爆发形成的火山泥沉淀于此,雪白的软泥看起来像牛奶一样,导游会把船开到一个水面很平稳的地方,下海会去给我们挖牛奶泥,来给我们大家涂抹全身,这种牛奶泥是天然的护肤品,等到身上变干的时候,大家就会跳入湖中洗洗干净,很好玩。

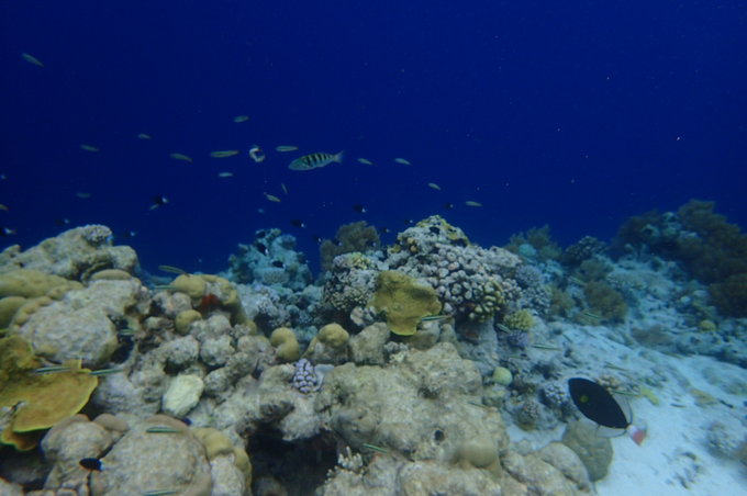
3.大断层是浮潜的圣地,一个水下断崖,也是跟拍的好去处。来这里有时候还是要看天气如何的。海浪大的时候,就会换别的景点。这里的水下能看到很多种类的鱼,珊瑚等等,水下很清晰。也很感谢摄影师的拍摄,很喜欢!很有纪念意义。







4.蓝色珊瑚礁也是浮潜的一个景点,这里的珊瑚有一种很少见的蓝色鹿角珊瑚,好像只有帕劳才有,像这样的珊瑚真的是不多见的。


5.这里的干贝很大,听说帕劳的贝壳是全世界最大的,没有之一,厉害了Word,干贝也是活的,切记不要触摸它,小心被夹到手。

都说帕劳是上帝的水族馆,这里当然也少不了各式各样的鱼群,美人鱼水道是天然的鱼群的聚集地,在这里导游会给到一些面包屑来喂小鱼,不一会儿,就会有很多的鱼围绕着。

鲨鱼城是一个比较刺激的景点,在这里感受下鲨鱼就在脚下的感觉吧。

玫瑰珊瑚花园,这里金灿灿的。



软珊瑚的颜色色泽鲜丽,不过在这里浮潜一定要注意不要被珊瑚刮伤自己哦。这里还有很多的小丑鱼(还记得海底总动员里面的那个尼莫嘛,在这里呀)








有关帕劳行程方面的问题可留言或者咨询漫漫浪帕劳旅游地接!