
近日马航370事件出现突破性进展,据澳大利亚七号台新闻报道,英国航空工程师 理查德·戈弗雷 ( Richard Godfrey )在11月30号发布的报告 中, 称其用一项基于 WSPR 的革命性跟踪技术( GDTAAA)确定了马航370客机坠机位置 。
他表示这架飞机目前在 澳大利亚珀斯以西1933公里的印度洋,位于海平面4000米以下 。
在采访中,他对自己的预测发现信心十足,称如对这一地区展开搜索,最快明年夏天即可找到飞机残骸。

从 2014年3月 飞机失联至今,已过了将近8年,期间为找到飞机,多个国家、组织对MH370坠机位置进行预测和搜寻,但都无功而返。
那么这一次理查德的预测到底采用了什么样的高科技?他的发现到底靠谱吗?
理查德的突破性发现靠谱吗?
实际上理查德的随时随地全球探测和跟踪飞机 的软件 ( GDTAAA)是基于微弱信号传播报告(WSPR)技术。
而 WSPR 由诺贝尔奖得主,普林斯顿大学物理学家Joe Taylor(呼号K1JT)开发,它是业余无线电爱好者进行低功率弱信号短波通信实验的一种技术软件。
这种弱信号短波通信,传输距离可以很远,最远的曾经10毫瓦传输12911公里。所有无线电爱好者的传输实验数据被存储在公开的 WSPRnet网络数据库中。
这种众多无线电爱好者发射的WSPR链路,就像无数条毛线,每时每刻缠绕在地球上。
下图为2014年3月7日,UTC时间17:16分,马航370失踪当天最后一次与塔台联系前,全球的WSPR链路示意图。

而理查德发现,当飞机经过WSPR链路时,该链路的短波通信会受到干扰,并且在数据库中留下相应的痕迹。
因此,查找数据库中当天所有MH370经过区域上方的WSPR链路信息,理论上就能还原出MH370最后的飞行轨迹。

另外,因为该技术会 每两分钟 对WSPR通信实验数据(包括时间戳和地址等信息)进行记录,保存在数据库中,所以该项技术可以更精确地预测MH370跨过第七弧线后的飞行路径。
我们知道前期预测MH370坠机位置时,主要利用的是国际海事卫星组织的Inmarsat卫星每隔一个小时和飞机的通信位置以及飞机上的燃油消耗模型,最后预测出坠机地点。
但是一个小时的采样间隔,误差还是比较大的。飞机经过第七次卫星握手通信后,还可以飞行很远。
那么理查德这项基于WSPR的更精确的技术,预测出的马航370飞行路径如何呢?如下图所示。

其最后经过第6、第7弧线的路径如下:

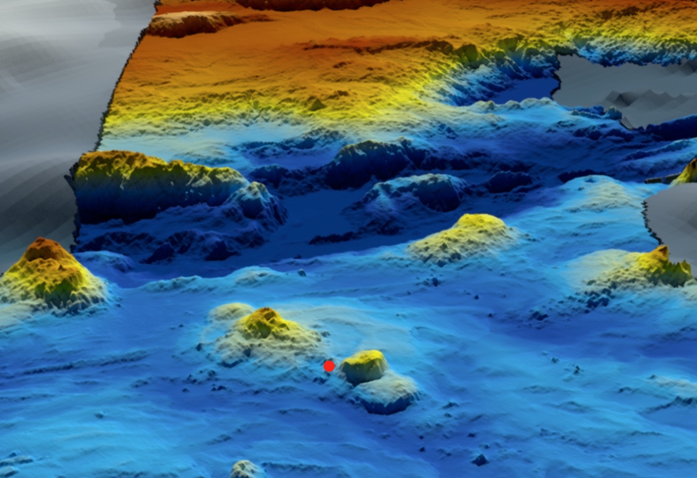
基于此,理查德确定了最可能的马航370坠机位置,其精确坐标为: 南纬33.177度、东经95.300度 。

这一区域是充满了悬崖、沟壑与水下火山的海洋高原。位于 Broken Ridge断岭附近。

该位置不在 澳大利亚交通安全局(ATSB) 2015年定义的原始搜索区域内,但是在2016年ATSB划定的120000平方公里扩展搜索区域内。
在2018年海洋无限公司签订“ 找不到 不收钱 ”对赌协议的搜索中,也没有覆盖该区域,因为2016年ATSB已经搜索过该区域,海洋无限的搜索路线离该区域最近时只有 26.8 公里。

那么在2016年ATSB的扩展搜索中为何没有发现残骸?理查德表示有可能因为该地区地形复杂,悬崖沟壑丛生,探测器难以深入,或者海底火山曾经爆发,火山灰覆盖了残骸。
理查德在报告中还声称,其基于WSPR的飞行路线、坠机位置预测,与Inmarsat卫星与飞机七次握手通信的位置信息吻合,与波音公司提供的飞机燃油消耗性能数据吻合。

残片漂流分析
同时,其预测也同样符合已发现的33块MH370残片海洋学和漂移分析模型。而且在预测MH370路线之前,其 ( GDTAAA)软件也对其他飞机飞行线路做过盲测(blind test),预测路线与飞机的真实飞行路线基本吻合。
这么看来,至少从逻辑上来说,理查德的分析推测基本上是靠谱的,如果按照其指出的位置展开新一轮搜索,真有可能让马航370飞机重见天日。
但这又带来了另外一个问题。
如果找到残骸,就能揭示所有的真相吗?
让我们先来看看,在MH370的搜寻中,人们最关心的,最想找到的,和真相离得最近的都有些什么?
首当其冲的当然就是黑匣子。但是找到了黑匣子就能揭示所有真相吗?

要回答这个问题,不得不提到理查德采访中的另一番言论,他表示马航370飞机失踪的原因是因为机长扎哈里劫机。
其动机是因为心情抑郁,想进行自杀式飞行,将飞机开往无人知晓的深海。

而支持理查德得出这一结论的是他在MH370飞行路线探测中发现的几个疑点。
第一个疑点,MH370在飞行中多次主动转向,在印度洋上空飞行时,一次转向了澳大利亚杰拉尔顿(Geraldton),另外一次转向目的地则指向了扎哈里在家里模拟飞行路线的终点!

而另一个值得注意的是,MH370刻意穿过了多国空管区域(FIR)的交叉点。

针对黑匣子本身,其实也有一些局限。
首先,黑匣子只能保留最后2个小时的客舱语音通话(CVR所记录)。而马航370在马来西亚、越南交界处失联后,又继续飞行了7个小时,所以,前面5个小时发生了什么,很有可能再也无从得知。
另外,黑匣子有两种记录仪,一种是飞行记录仪(FDR),另一种是客舱语音记录仪(CVR),而CVR的电源据称可以人为关闭,或抹掉其内容。

那么如果理查德的机长劫机的猜测是对的,既然扎哈里可以关闭飞机上的二次雷达应答器,为什么不可以关闭CVR黑匣子?
如果黑匣子不能给我们揭示真相提供更多的线索,剩下的就是飞机的其他残骸和乘客的遗骸了。
可是日前英国《卫报》的一则报道,又让人心情开始沉重起来。
该报道称沉没在大西洋3800米深处的泰坦尼克号,由于强大的洋流、盐蚀、水压和细菌微生物的侵袭,其残骸预测将于2030年彻底消失。


可是 2011年4月 ,在搜寻了2年多之后,在大西洋底4000米深处找到的法航447客机残骸,又给人们带来了希望。
因为在这次搜寻中,还发现了104具遗骸,在深海中保存得很好,依然坐在座位上,系着安全带。
结语
可马航370班机毕竟在海底沉睡了将近8年。
8年中什么都可能发生,海底火山,生物,洋流,时间是真相最大的敌人。
逝去的每一天,都让我们离真相越来越远。
希望这次理查德的发现能再次引起相关机构的重视,早一点重启搜索,给200多位遇难者家属一个交代,为他们漫长而焦灼的等待画上一个句点。
也让马航370的遇难者亡魂安息。

《码字不易,觉得好看,就点个赞吧!谢谢[谢谢][玫瑰]》