近日,兰州市自然资源局发布了一则关于城关区保障性租赁住房项目建筑工程设计方案平面图的审批公告,该项目为兰州润兰之城项目的一部分,位于城关区B658#规划路以西,总建筑面积约62013.64㎡,其中地上建筑面积45444.31㎡,地下建筑面积约16569.34㎡。

项目平面图
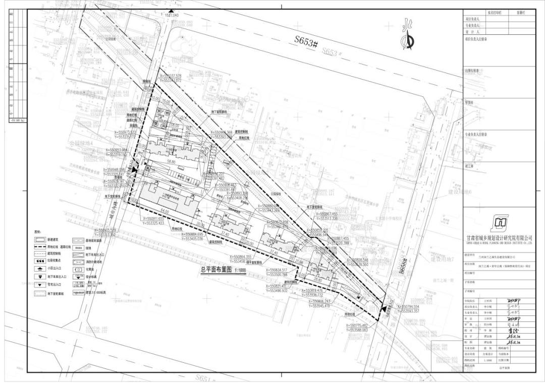
根据项目平面图可知,该项目区域地块总体呈直角三角形,规划一栋新青年宿舍楼、四栋住宅楼。其中新青年宿舍楼设计为17层,1#楼设计为18层,2#楼设计为14层,3#楼设计为8层,4#楼设计为6层。此外项目还设计有一栋2层的商业楼、地下停车库、小区健身场、景观绿地和停车位等以满足业主日常生活需要。
从区域位置上看,该项目位于城关区兰州大学一分部附近,东面为润兰之城主体部分,北面与东方花苑小区相望。周边配套相对齐全,可满足业主未来生活需求。

项目大概位置 制图:兰州方程式
近年来,兰州市加快完善城镇住房保障体系,加大保障性租赁住房供给,保障人民群众住房需求。该项目的建设将有效改善该片区市民的生活环境,同时使兰州市城市形象得到进一步改善,我们会持续关注项目的后续进展。