今年以来,阜阳的新房市场颇为火热。
各大“地王”项目轮番亮相,高地价再加上各类成本的增加,势必会拉高区域整体均价,将会成为阜阳的价格风向标。
在此背景下,颍泉也是“不落人后”,同样有新盘的规划曝光,下面让我们看一下具体情况。
NO.1 | 壹
2263户!颍泉新项目规划公示!
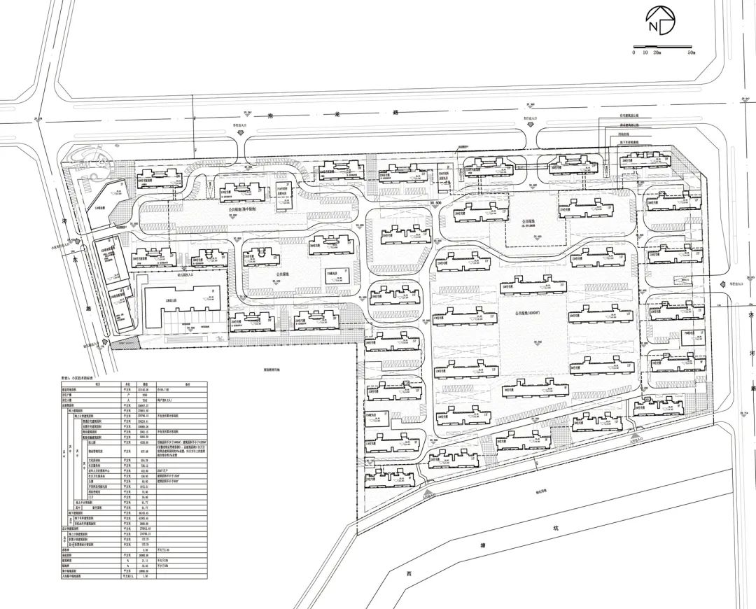
近日,阜阳市自然资源和规划局公示了阜阳善筑房地产开发有限公司珑樾府项目规划方案。 规划显示,珑樾府(备案名)项目规划38栋住宅,总户数2263户。
该规划位于抱龙路南侧、济河路西侧、济东路东侧。沿济东路和抱龙路各设置两个出入口,沿济河路设置一个出入口,沿南侧弹性支路设置两个人行出入口。

总用地面积123142m²,总建筑面积336957.37m²(其中地上建筑面积270851.92m²,地下建筑面积66105.45m²),计容建筑面积270912.4m² (其中安置房计容面积100000m²)。

2021年5月24日,合肥海富企业管理有限公司(海伦堡地产)以单价255万/亩,总价4.71亿元拿下颍泉区【2021】-9号地;楼面价1739元/m²,溢价率10.9%。

NO.2 | 贰
项目具备一定的竞争力!
从位置来看,珑樾府周边配套还是比较完善的,距离城郊中学较近,还有抱龙中学、临沂商城幼儿园,未来小孩上学比较方便;而且周边还有佳海天街、临沂商城等商业;交通方面,城北综合客运枢纽交通科技孵化中心项目也正在建设。

楼市方面,地块周边成熟小区有 海亮星城、碧桂园抱龙湾、临城公馆 等小区,二手房均价5700元/㎡。周边在售竞品项目有 文华上郡、北京城房时代名门、平和江岸首府 等,新房均价约7000元/㎡,其中文华上郡预计今年交付。

从低价成本来看,以海亮文华上郡和碧桂园抱龙湾为例,抱龙湾地块成交单价为449万/亩,文华上郡地块成交单价为241万/亩,而且皆是去化良好的品牌大楼盘,因此未来珑樾府项目入市后,也存在一定的竞争力。

此外,从项目方发布的宣传海报可以看到,项目应该是由海伦堡、北京城房、港利投资三家开发商共同合作开发。

据了解,安徽阜阳港利房地产开发有限公司成立于2002年5月。目前已建成的“港利绿园”商住小区被安徽省、阜阳市人民政府多次授予“优秀小区”和“优秀园林化小区”称号,开创了阜阳市标准化、园林化小区建设的新篇章。“港利·金茂广场”商业项目,是目前全市规模最大、档次最高的商业项目和标志性工程。

图源:港利投资集团官网
以以往经验来看,该开发商旗下开发建设的项目也颇受市场认可。如占地400亩的“港利·上城国际”商住小区,根据安居客上的数据来看,目前该小区二手房挂牌均价已经高达10209元/㎡。

图源:安居客
在不少人眼里,该板块位置较偏,远离市区,但是颍泉正处于版图扩张阶段,该板块已吸引 碧桂园、海亮、上坤、北京城房 等知名品牌房企布局,未来颇具潜力。
NO.3 | 叁
颍泉正在迅速北扩中!
近年来,颍泉重新焕发新春,发展速度有目共睹,其中集中开发的泉北新区,就代表了颍泉的新面貌。
据阜阳政府网官方消息,今年阜阳计划供地9410亩商住用地,其中颍泉计划供地2863亩,在阜阳三区中计划供地量最高!

对于区域而言,有供地才有发展,从表格中不难发现,颍泉计划商住用地供应全市第一,这已经是颍泉连续两年作为阜阳重点开发区域了。
此外,颍泉2021年公共管理与公共服务用地计划供应1134亩,交通用地计划供应4801亩。意味着颍泉的配套将进一步完善,泉北新城未来将打造更加宜居的片区。

根据《阜阳市空间规划(2017-2030)》公示可以看到, 未来乐富强悦融湾、乐富强5号地块以北,直至白庙、王府营社区、顺河社区等,以及周棚区域都将纳为颍泉区城市范围 。

阜阳以城南新区为重点的发展局面正在慢慢改变,颍泉区拥有丰富的自然资源、水系资源,同时也是拥有成熟的商业、完善的配套、发达的交通、以及丰富的规划。
毫不夸张的说,颍泉区已然成为阜阳最有潜力的板块之一。
NO.4 | 肆
总结
在最新的政府工作报告中明确指出,阜阳要 适度扩张颍泉建设规模,拉大城市框架。 而且,颍泉区身为曾经的老市中心,配套相对比较成熟,目前发展逐渐向北偏移,地势开阔,潜力巨大,所以也引得不少购房者的关注。
目前,该区域各个价格阶梯的房源齐全,改善、刚需都可以买到合适的房子。想在颍泉置业的朋友,现在已经可以下手了。