谈到虾这种动物,大多数人的第一印象可能都是:好吃。的确,在各种海洋纪录片和美食纪录片里,虾总是悲催的那一方。它们被大鱼吃,被小鱼吃,被蓝鲸吃,被两脚兽吃……好像除了食物之外,它们本身也没啥谈资了。
可最近,科学家拍摄到的一组视频,可能会让你改变对这类“纪录片专用食物”的印象。
这个小视频是关于深海大战的,交战的双方分别是:
深海霸王(?)龙海蛾鱼

(是不是很口怕!)
以及,餐桌霸主北极甜虾!

不不不上错宣传照了,是这张:

……看起来一样?下面那张不是熟的!人家生着也是红色的!
这么一对比,是不是结果感觉显而易见——视频的结局应该是北极甜虾再一次扮演了美味食材的角色,龙海蛾鱼饕餮一顿完成任务。科学家也是这么想的,但事情到底是怎么样的呢?有请双方选手出场!

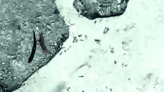
(一只口怕的小鱼登上了擂台)

(一只不为所动的虾)

(你瞅啥?)

(冷漠)

(哎呀妈这家伙厉害惹不起)

(小样还想跑?让你瞅?看哥怎么拾掇你)

(说,认不认错,服不服)

(哎我去还想跑?牛的你,等哥把你整家去再削你)
……所以,就这样,这只(美味的)北极甜虾几乎不费吹灰之力就拿下了看起来很口怕的龙海蛾鱼。然后,现在的问题是,听说还有人要骑我们,嗯?

来源:http://www.iflscience.com/plants-and-animals/shrimp-proves-its-hardcore-by-taking-down-dragonfish-and-gets-a-surprise-bonus/