在种植柑橘过程中,总会出现各种各样的虫害、病害以及缺素现象,只有判断出病虫害,才能针对性的进行防治!
柑橘虫害图谱
柑橘害虫很多:红蜘蛛、锈壁虱、蓟马、蜗牛、斜纹夜蛾、椿象、天牛不同种类达数百种之多。危害方式、活跃时期各不相同。下面我们通过图片来简单认识一下柑橘上的害虫。
部分害虫的发生时间

腹足纲(柄眼目)

灰巴蜗牛

蛞蝓
主要种类:同型巴蜗牛、灰巴蜗牛、蛞蝓
危害方式:以成螺和幼螺取食柑橘嫩叶、嫩茎及果实皮层
发生时间:5~9月
防治药剂:四聚乙醛
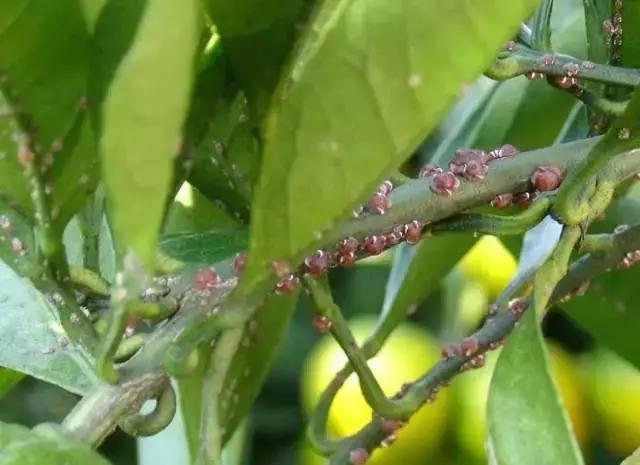
蛛形纲(蜱螨目)

柑橘全爪螨(红蜘蛛)

柑橘锈瘿瞒(锈壁虱)
主要种类:瘿螨科(柑橘瘿螨 柑橘锈瘿螨)、跗线螨科(侧多食跗线螨)、叶满科(柑橘全爪螨 神泽叶螨 柑橘始叶螨)
危害方式:以成螨、若螨刺吸危害柑橘的叶片、果实
发生时间:柑橘全爪螨(红蜘蛛)几乎全面均可发生,其中春梢及秋梢期是危害高峰;柑橘锈瘿螨(锈壁虱)7~10月为发生盛期
防治药剂:红蜘蛛可用阿维菌素、乙唑螨腈、氟啶胺、乙螨唑、螺螨酯、矿物油等;锈壁虱可用阿维菌素+虱螨脲;进口矿物油;这几年抗性比较大,可以在用药的时候加上康普森橙皮精油助剂效果更佳。
昆虫纲(半翅目)

梨网蝽

曲胫侎缘蝽

丽盾蝽(黄色型)

九香虫

稻绿蝽

茶翅蝽
主要种类:网蝽科(梨网蝽)、缘蝽科(曲胫侎缘蝽)、盾蝽科(丽盾蝽)、兜蝽科(九香虫)、蝽科(大臭蝽、云蝽、斑须蝽、长吻蝽、麻皮蝽、稻绿蝽、茶翅蝽)
危害方式:成虫与若虫以刺吸式口器刺破叶片、果实等,吸取植物汁液
发生时期:7~8月为主要发生期
防治药剂:高效氯氟氰菊酯+毒死蜱
昆虫纲(鞘翅目)

红脚异丽金龟

六星吉丁虫

星天牛

光盾绿天牛

褐天牛

恶性叶甲

潜叶甲

小绿象甲

柑橘灰象甲

小蠹虫
主要种类:吉丁甲科(六星吉丁虫、柑橘爆皮虫、柑橘溜皮虫)、丽金龟科(斑喙丽金龟、琉璃弧丽金龟、中华弧丽金龟、红脚异丽金龟、铜绿丽金龟)、花金龟科(白星花金龟、小青花金龟、花潜金龟)、犀金龟科(橡胶犀金龟)、天牛科(星天牛、褐天牛、光盾绿天牛)、象甲科(小绿象甲、蓝绿象、柑橘灰象甲)、小蠹科(暗翅材小蠹、光滑材小蠹、茶材小蠹)
危害方式:成虫多取食柑橘叶片,部分幼虫可为害枝干、根系
发生时期:金龟子成虫多在6~7月出土,幼虫生活于地下;吉丁虫5月中上旬为第一次危害高峰,9月中下旬为第二次危害高峰;天牛主要危害期在4~6月;象甲高发期在4~6月及8~9月
防治药剂:高氯+毒死蜱,注意处理土壤
昆虫纲(双翅目)

柑橘小实蝇

柑橘大实蝇

花蕾蛆
主要种类:实蝇科(柑橘小实蝇、柑橘大实蝇、蜜桔大实蝇)、瘿蚊科(芽瘿蚊、花蕾蛆、柑橘雷瘿蚊)
危害方式:主要以幼虫驻食柑橘的花器、果实
发生时期:大实蝇5~7月;小实蝇6~9月;花蕾蛆在3月中下旬
防治药剂:花蕾蛆毒死蜱、菊酯类药剂,注意花蕾处理地面;大小实蝇可用全逮实蝇诱捕球诱杀
昆虫纲(缨翅目)

蓟马
主要种类:蓟马科(茶黄硬蓟马、花蓟马、褐三鬃蓟马、八节黄蓟马、棕榈蓟马、色蓟马、黄胸蓟马)、管蓟马科(边腹曲管蓟马、桔简管蓟马、华简管蓟马、狭翅简管蓟马)
危害方式:成虫与若虫以锉吸式口器,危害柑橘的叶、花、果
发生时期:柑橘花期出现第一个高峰期,谢花后幼果期出现第二个高峰期,第三个高峰期为9~10月秋梢抽发期
防治药剂:高氯+噻虫嗪,最近蓟马抗性较大,可以在用药时加上康普森橙皮精油助剂,促进药液渗透吸收。
昆虫纲(鳞翅目)

柑橘凤蝶

玉带凤蝶

潜叶蛾

斜纹夜蛾

烟青虫

鸟嘴壶夜蛾

柑橘豹蠹蛾

桃蛀螟

小白纹毒蛾

油桐尺蠖

褐带长卷叶蛾

白囊蓑蛾
主要种类:豹蠹蛾科(柑橘豹蠹蛾)、凤蝶科(柑橘凤蝶、玉带凤蝶、达摩凤蝶)、毒蛾科(小白纹毒蛾、双线盗毒蛾、茶黄毒蛾)、刺蛾科(黄刺蛾、褐边绿刺蛾、褐刺蛾、扁刺蛾)、卷蛾科(褐带长卷叶蛾、拟后黄卷叶蛾、柑橘黄卷蛾、小黄卷叶蛾、拟小黄卷叶蛾)、蓑蛾科(白囊蓑蛾、蜡彩蓑蛾、茶蓑蛾、大蓑蛾、丝脉蓑蛾、黛蓑蛾)、尺蛾科(四星尺蠖蛾、大造桥虫、大钩翅尺蠖、油桐尺蠖)、夜蛾科(小地老虎、斜纹夜蛾、烟青虫、壶嘴夜蛾、鸟壶嘴夜蛾、壶夜蛾、枯叶夜蛾、小造桥虫、玫瑰巾夜蛾、旋目夜蛾)、螟蛾科(桃蛀螟)、潜蛾科(潜叶蛾)、细蛾科(柑橘潜皮细蛾)
危害方式:主要以幼虫取食叶片和果实,也有部分成虫刺吸果实
发生时期:5~7月为鳞翅目害虫的高发期,吸果夜蛾在8~11月
防治药剂:毒死蜱、甲氰菊酯、溴氰菊酯、甲维盐·茚虫威、毒死蜱·甲维盐、氯虫苯甲酰胺、蛾核型多角体病毒、除虫脲、虫螨腈等
昆虫纲(同翅目)

黑蚱蝉

柑橘木虱

柑橘粉虱

黑刺粉虱

碧蛾蜡蝉

绣线菊蚜

红蜡蚧
主要种类:蝉科(蟪蛄、黑蚱蝉)、叶蝉科、沫蝉科(白带尖胸沫蝉)、蛾蜡蝉科(碧蛾蜡蝉、白鹅蜡蝉、褐缘蛾蜡蝉)、广翅蜡蝉科(八点广翅蜡蝉、柿广翅蜡蝉)、粉虱科(柑橘粉虱、黑刺粉虱)、蚜科(绣线菊蚜、棉蚜、橘蚜、橘二叉蚜)、介壳虫(粉蚧科、绵蚧科、蜡蚧科、盾蚧科)、木虱科(柑橘木虱)
危害方式:多以刺吸式口器刺吸汁液对柑橘造成危害,传菌传毒
发生时期:柑橘各梢期
防治药剂:粉虱可用高氯/甲氰菊酯+噻虫嗪/吡虫啉/呋虫胺;黑蚱蝉可用高氯+毒死蜱;木虱建议内吸*药性**剂+速效*药性**剂,菊酯类农药例如甲氰菊酯、高效氯氟氰菊酯和噻虫嗪、吡虫啉、呋虫胺等混用;介壳虫毒死蜱+噻嗪酮/螺虫乙酯;毒死蜱+矿物油
昆虫纲(直翅目)

蝗虫

螽斯
主要种类:蟋蟀科(大头蟋蟀)、螽斯科(螽斯)、蝗总科(棉蝗、短额负蝗、东亚飞蝗、罗浮山切翅蝗)
危害方式:以若虫、成虫啃食感觉叶片
发生时期:7~8月,一般很少发生
防治药剂:高效氯氰菊酯、阿维·*唑三**磷、杀蝗绿僵菌、苦参碱、印楝素
昆虫纲(等翅目)

黑翅土白蚁

家白蚁
主要种类:鼻白蚁科(家白蚁)、白蚁科(黑翅土白蚁)
危害方式:主要为害柑橘的根系及近地面的树干
防治药剂:噻虫啉,联苯菊酯,多杀菌素,溴氰菊酯,吡虫啉+毒死蜱等
柑橘病害识别口诀
柑橘黄龙病
黄龙全年皆可发,夏秋新梢最易病;
春梢转绿现黄梢,夏秋未绿黄梢现;
初病黄梢一两枝,粤农俗称插金花;
病叶黄化或斑驳,叶质硬脆缺光泽;
病梢翌春早萌发,抽出新梢早弱纤;
病树开花早特多,花朵畸形如乒乓;
多个花朵聚成团,粤农俗称打花球;
病树中期根腐烂,结果能力渐丧失。

柑桔炭疽病
炭疽病原炭疽菌,侵害枝叶与花果;
枝叶症状分急慢,病果干疤泪痕型;
病果还有果腐型,采后多发在储运;
病害症状显多样,此乃炭疽一特点;
菌具潜伏侵染性,堪称该菌另特点;
病菌还具弱寄生,树体衰弱易受侵;
要问病症为啥样?潮湿干燥不相同;
潮时病征朱红点,干时转呈小黑点。

柑桔疮痂病
疮痂病原痂圆孢,主害幼嫩枝叶果;
患部疮痂木栓化,圆锥形突不陷裂;
叶痂仅朝叶背突,叶面凹陷如漏斗;
枝叶变形多扭曲,潮时患部现霉层。

柑桔溃疡病
溃疡病原为细菌,害枝害叶更害果;
溃斑隆起木栓化,顶部裂陷似火山;
叶上溃斑穿两面,溃斑外绕黄晕圈;
枝果溃斑亦隆起,惟有黄晕难看见;
潮湿斑面渗菌脓,指触病征质觉粘;
溃疡病叶不变形,本病另一特征点。

柑桔脚腐病
脚腐病原为真菌,主害茎基与根颈;
皮层初呈褐湿腐,嗅之气味如酒糟;
患部渗出胶粘液,雨时淋溶易被冲;
潮时病情迅扩展,旱时扩缓或停息;
树皮翘裂至剥落,甚时露出木质部;

柑桔黑星病
黑星又称黑斑病,主要危害为果实;
果斑红褐或黑褐,病斑直径两毫米;
病害潜育期很长,青果幼果已侵染;
此病原为茎点霉,花后预防需趁早。

柑桔烟霉病
烟霉病原为真菌,主害枝叶兼害果;
患部表面复黑霉,恰如烟薰故得名;
光合作用大受阻,终致树势渐衰退;
病菌多属附生菌,寄生仅有小煤炱;
附生烟霉随虫猖,虫消自然病也亡;
防除寄生小煤炱,及早喷药来预防。

柑桔青、绿霉病
青霉绿霉真菌病,储藏果病最盛名;
果面初变软湿润,稍后斑面现白霉;
白霉转呈蓝或绿,斑缘白霉带尚存;
绿霉白带显宽阔,青霉带窄恰相反;
绿霉果腐速度快,青绿果腐慢一半;
两病防治抓哪着?保鲜防腐低温藏。
柑桔根结线虫
柑桔根结线虫病,主害根系致肿瘤;
大小根瘤根尖生,初呈黄白后黑褐;
病株根系根毛少,纵横盘结似面饼;
树冠初期症不显,病情发展渐衰退;
叶细叶黄缺光泽,果少而小易早落;
一旦诱发土传病,加速病株向死亡。

柑桔膏药病
膏药病原担子菌,主害枝干生膏斑;
膏斑色呈灰或褐,均为病菌菌丝膜;
菌膜紧贴枝干上,外观犹如贴膏药;
病菌可借蜜露生,蚜蚧虫猖病也旺;
除虫控病抓预防,药涂膏斑抑菌扩;
新鲜牛尿涂患部,此乃粤果农首创。
柑桔二斑病
柑桔二斑病名多,脂点黄斑为别名;
还称褐色小圆星,主害叶片致疱斑;
疱疹状斑色黑褐,叶片背面最分明;
有的疱斑两面生,黑褐兼带釉光性;
病原曾有生理说,也有认为锈壁虱;
新近认定为真菌,包括疣丝叶点霉。

柑橘缺素口诀
柑桔缺氮
缺氮嫩叶均匀黄,叶小枝薄梢不旺;
花少果小且易落,植株矮小呈饿状。

柑桔缺磷
缺磷老叶先显症,叶形大小尚正常;
叶色常呈青铜绿,有的叶色还偏紫。

柑桔缺钾
缺钾老叶症先显,叶尖叶缘发黄始;
黄化后转呈枯斑,叶缘上卷叶畸形。

柑桔缺锌
缺锌别称小叶病,幼嫩梢叶症先显;
叶片黄化不均匀,主侧脉绿叶肉黄;
甚时全叶呈斑驳,叶片硬直兼窄小;
黄龙病发至中期,症与缺锌常难辨。

柑桔缺锰
缺锰俗称滞黄病,又称花叶紫血焦;
缺锰缺锌症相似,细心比较方易辨;
缺锰叶肉色黄绿,缺锌叶肉黄更显;
缺锰叶片形正常,缺锌嫩叶现窄小。

柑桔缺铁
缺铁幼叶症先显,叶形大小尚正常;
叶片亦非匀黄化,绿色网纹是特点。

柑桔缺镁
缺镁又称滞黄病,老叶黄化形不变;
初期叶脉尚青绿,黄绿相映似肋骨;
后期老叶几黄化,仅在叶基留绿色;
叶基绿块近三角,此乃缺镁特征点。

柑桔缺铜
缺铜俗称顶死病,嫩叶显症不呈黄;
反呈深绿与众异,叶脉弓状呈曲弯;
枝长细软扭而垂,顶端易死故俗名;
幼果常现纵横裂,果皮现瘤色棕红。

柑桔缺钙
新梢幼叶先显症,嫩叶大小形正常;
叶尖叶缘处黄化,枝条端部易枯死。

文章选自农业助手,大丰收柑橘植保。

