
基于天津市物流业空间布局规划(2019-2035年)城市配送点布局规划图,通过手绘板对环北京城际线路、通武廊市域郊铁路、疑似四号线北延武清段进行标注,再叠加武清区包含各乡村的明细地图,最后匹配出来,大概就是如图所示的。

一、环北京城际武清段疑似走向

先后经过大王古庄、白古屯、高村、河西务。需要留意的是,不少人关注的高村,实际只横穿了高村南部牛镇区域。通武廊市域郊铁路在大王古庄小韩村附近引入环北京城际既有规划线路。
如果这个线路图属实的话,大王古庄镇:争取环北京城际大王古庄站换乘枢纽建设,可以说是有了回报。大王古庄武清北站可以换成环北京城际和通武廊市域郊铁路,环北京城际通过廊坊东站可以直达大兴国际机场,通过香河高铁站可以换成京滨/京唐城际;通武廊市域郊铁路可以在北辰换成天津地铁5号线。客流有了保证,也能助力大王古庄继续腾飞。
二、一条通武廊市域郊铁路?其实是有三条铁路线

目前北辰到武清有三条铁线路,从左到右可以依次称之为左线、中线和右线。这三条线路,最后都是经由东蒲洼、南蔡、泗村店、大孟庄、河西务、高村、白古屯、大王古,引入环北京城际既有规划线路。
左线:左线可以简单称之为坊间早些年传闻中的沿着京津公路北铺方案。在北辰区是沿着京津公路双街站北延,到了武清区左拐了一个小湾儿,然后经过杨村,再经由东蒲洼、南蔡、泗村店、大孟庄、河西务、高村、白古屯、大王古,引入环北京城际既有规划线路。
中线:中线可以简单称之为民间版的5号线北延南湖方案。大体是通过京山铁路既有线路,引出一条分支到南湖,经过天和路,然后经过杨村,再经由东蒲洼、南蔡、泗村店、大孟庄、河西务、高村、白古屯、大王古,引入环北京城际既有规划线路。
左线:此前从未披露过的一个方案。经由梅厂、徐官屯,再经由东蒲洼、南蔡、泗村店、大孟庄、河西务、高村、白古屯、大王古,引入环北京城际既有规划线路。

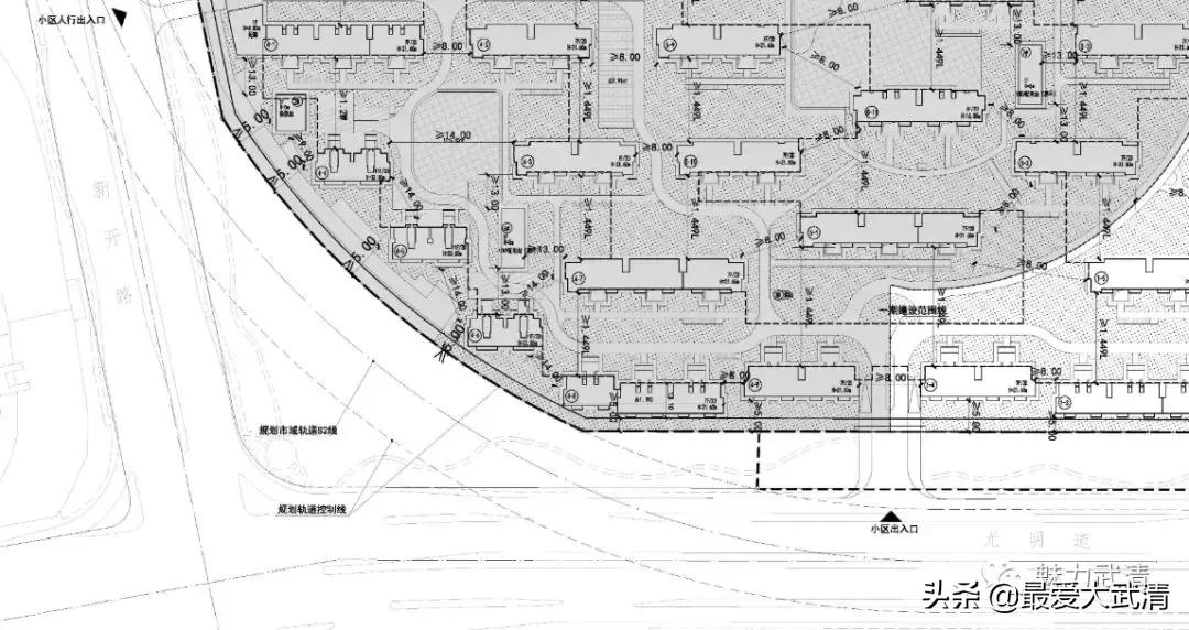
这三条铁路线,到底哪条才算是官方口径中的通武廊市域郊铁路,就不得而知了。可以确认的是,之前在武清区京能置业(天津)有限公司津武(挂)2018-060居住项目总平面图公示中的市域轨道S2线,总算是摘去了其神秘面纱,大体线路走势是符合的。
以上都只是基于天津市物流业空间布局规划(2019-2035年),至于实际的线路走向是如何,到底会在哪里设站,暂时还没有更多信息可以透露。
编辑:阿蒙
源自:魅力武清