
台风是发生在热带洋面上的强烈气旋性涡旋,是一种典型的致灾天气。我国地处太平洋西北岸,是全球范围受台风影响最严重的国家之一,沿海各省自南向北均受到台风的影响。台风登陆时常给受影响水域带来强风、暴雨、风暴潮以及船舶碰撞、搁浅和沉没等次生灾害,造成严重的生命和财产损失。

▣ 关于台风的名称和等级

据史书记载,我国古代人们把台风叫飓风,到了明末清初改称“飚风”,至1956年,飚风才被为台风。由于台湾位于太平洋和南海大部分台风北上的路径要冲,很多台风是穿过台湾海峡进入大陆的,所以有人认为称之为台风,是因为风的来源。也有人认为,台风侵袭我国广东省最多,台风是从广东话“大风”演变而来。
台风(Typhoon),属于热带气旋的一种。热带气旋是发生在热带或副热带洋面上的低压涡旋,是一种强大而深厚的“热带天气系统”。在我国国家标准《热带气旋等级》GB/T 19201-2006中,把南海与西北太平洋的热带气旋按中心附近地面最大风速划分为下面六个等级。

我国的一年四季都有台风的影响,但“台风季节”一般是指每年6月至10月期间,给航运及相关的行业带来较大的影响。在其他海洋也一样有热带气旋,但不叫台风,在北大西洋、东太平洋普遍称为“飓风”,在印度洋、孟加拉湾多称为“热带风暴”,在澳大利亚就直接叫“热带气旋”。
▣ 一般台风的形成条件和演变的四个阶段

至少到目前,台风的形成还是不可预测或预测精度不够高,但是气象学家掌握了一些台风形成的规律,如台风的形成需要以下三个基本条件:一是要有足够广阔的热带洋面,这个洋面不仅要求海水表面温度高于26.5℃,而且在包括60米深的这一层海水里,水温都要超过这个数值,这是因为台风在形成了维持旋转的过程中,需要消耗大量的能量,也只有富含热量的热带洋面,才能够提供给其如此巨大和源源不断的能量。二是在台风形成之前,先在附近存在一个热带漩涡,它的作用就是给台风提供巨大的能量消耗来源。热带漩涡的气压值会比周边地区稍低,也就是弱低压现象。在弱低压的上方,高低空的风向风速差别小,这种情况有利于热量聚集,从而供给台风旋转时的巨大能量。三是由于地球由西向东高速自转,热带气旋在地球自转时,因其体积庞大移动较慢,所以就会与地球表面进行摩擦,越靠近赤道摩擦力越强,这就引导气流逆时针旋转,从而形成台风。因为地球自转速度太快,台风跟不上,从而相对的让人感觉台风是在向西移动。不过,具备这些条件不等于就有台风发生。台风发生是一个复杂的过程,至今尚有很多科学问题需要解决。
孕育阶段:经过太阳一天照射,海面上形成了很强盛的积雨云,这些积雨云里的热空气上升,周围较冷空气源源不绝的补充进来,再次遇热上升,如此循环,使得上方的空气热,下方空气冷,上方的热空气里的水汽蒸发扩大了云带范围,云带的扩大使得这种运动更加剧烈。经过不断扩大的云团受到地转偏向力影响,逆时针旋转起来,形成热带气旋,热带气旋里旋转的空气产生的离心力把空气都往外甩,中心的空气越来越稀薄,空气压力不断变小,形成了热带低压,这是孕育阶段。
发展(增强)阶段:因为热带低压中心气压比外界低,所以周围空气涌向热带低压,遇热上升,供给了热带低压较多的能量,超过输出能量,此时,热带低压里空气旋转更快,中心最大风力升高,中心气压进一步降低。等到中心最大风力达到一定标准时,热带低压上升到热带风暴,再上升到强热带风暴、台风,有时能上升到强台风甚至超强台风。

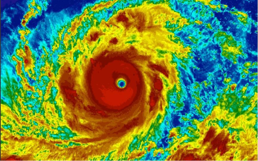
成熟阶段:台风经过漫长的发展阶段,变得强大和具有造成灾害的能力,如果这时登陆就会造成重大损失。一个发展成熟的台风,气旋半径一般为500~1000千米,高度可达15~20千米。台风可以分为三个部分,从外至内,分别为外围大风区、旋涡风雨区和台风眼。最大风速区和台风眼。外围大风区的风速从外向内增加,有螺旋状云带和阵性降水;旋涡风雨区中有最大风速区和产生最大的降水区,平均宽8~19千米,它与台风眼之间有环形云墙;台风眼位于台风中心区,呈圆形或椭圆形,直径约10~70千米不等,平均约45千米。台风眼区的风速、气压都是最低,天气表现为无风、少云和干暖。航行船舶如果不小心进入台风眼区,预示着即将遇到狂风暴雨,一般应以船尾右舷受风顺航,迅速离开台风进路,驶入左半圆的范围,直至气压回升,驶离危险。在卫星云图上观察那些弱台风、发展初期的台风通常是没有台风眼的,都是因为它们势力较弱的原因。下图是卫星拍摄的台风,中间是台风眼。

下图是从地面拍摄的台风,太阳光通过台风眼照射大地。

消亡阶段:台风消亡路径有两个,一个是台风登陆陆地后,受到地面摩擦和能量供应不足的共同影响,台风会迅速减弱消亡,消亡之后的残留云系可以给某地带来长时间强降雨。另一个是台风在东海北部转向,登陆韩国或穿过朝鲜海峡之后,在日本海变性为温带气旋,变性为温带气旋后慢慢消亡。
▣ 台风对港航业的破坏力
形成的台风因高低空风速相同或差别很小,会进一步促进海水蒸发和热量的聚集,从而维持台风不断发展壮大,如此一个具有极强破坏力的台风就出现了。据悉,台风风速最高可以达到17级,接近中心最高持续风速160千米/小时左右,也有超过300千米/小时以上。这种风力可以在海上掀起14米以上的巨浪,有不少船只因此被掀翻而沉没。有记载,1954年9月26日,15号台风“玛丽”(Marie)挟狂风暴雨侵袭着日本津轻海峡两岸,渡船“洞爷丸”(Toya Maru)轮船长对自己的航海经验很自信,看到天气稍好,误判了台风便决定启航出港。当时已是傍晚18时30分,船员和乘客共1337人。“洞爷丸”轮出港不久,就遇到了强大的暴风雨,在暴风雨中苦苦搏斗求生了四个多小时后,至22时45分,最终船舶倾覆、船底朝天。因天气太恶劣,尽管发布了SOS信息,但救援船难以近身,共有1155人因此遇难或失踪(有资料介绍是1172人),仅182人幸存,成为因台风造成最大的海难事故之一。下图是“洞爷丸”轮的照片和风浪稍小后的救援现场。


同样,台风登陆后的破坏力也是摧枯拉朽的,一座厂房甚至几台大型集装箱岸桥,它都能轻易席卷过去,留下一片废墟。2003年9月,第14号台风“鸣蝉”(Maemi),以200千米/小时风速正面袭击韩国釜山港,导致釜山港6台岸桥被吹倒损坏,2台起重机倒塌,3台起重机脱轨,一艘船舶倾覆等,码头随即处于瘫痪状态。下图是釜山港集装箱码头一角。


▣ 台风的编号和命名
从1959年起,我国开始对每年发生或进入赤道以北、180度经线以西的太平洋和南海海域,近中心最大风力大于或等于8级(17.2米/秒)的热带气旋按其出现的先后顺序进行编号。编号由四位数码组成,前两位表示年份,后两位是当年热带气旋出现的序号。在上世纪初,日本开始为热带气旋编配一个四位数字的编号,我国与日本的编号方式基本一致。为减少各个国家和地区对台风编号的混乱,日本气象厅在1981年获委托,为每个西北太平洋及南海区域内的达到热带风暴强度的热带气旋编配一个国际编号,并且延续至今。如上述的台风“鸣蝉”,其国际编号是0314,即为2003年西北太平洋及南海区域内第十四个被命名的热带气旋。因为各气象机构对热带气旋强度的评估有所不同,有时会对是否编入热带气旋中有差别。如在2006年台风季,中国气象局对一个未被日本气象厅命名的热带气旋作出了0614的编号,因此在余下的热带气旋编号中,我国的编号都比日本气象厅的编号大一个数字。
1998年12月1日至7日,世界气象组织台风委员会(WMO Typhoon Committee)在菲律宾马尼拉举行第31届会议,决定从2000年1月1日起,采用具有亚洲风格的名字对西北大西洋和南海生成的热带气旋进行命名,旨在帮助人们对热带气旋提高警觉,增强警报效果。同时,保留原有热带气旋编号。该方法将用于台风委员会成员向国际社会发布的公报中,也供各成员用当地语言发布热带气旋警报时使用。
第31届台风委员会通过的西北太平洋和南海热带气旋命名表,共有140个名字,分别由亚太地区的柬埔寨、中国、朝鲜、中国香港、中国澳门、日本、老挝、马来西亚、密克罗尼西亚联邦、菲律宾、韩国、泰国、越南和美国(在亚洲的关岛是美国海外属地)等14个成员提供,每个成员提供10个备选台风名,然后按一定的顺序排列和循环使用。每年在西北太平洋和南海海域大约产生27个台风,最近十几年产生的台风有所减少,因此140个台风的名字约是每六年轮回一次。下图是2020年列出的台风命名表。

我国根据台风名称由两个或三个简体中文字组成、英文名不超过9个英文字母、发音容易、没有不好的意思、不产生歧义、不是商业机构的名字和不做广告等命名要求,提供了十个台风名称。目前,属于花名有三个,海棠(Haitang)、杜鹃(Dujuan)、木兰(Mulan);属于神话中掌管一方的神仙有三个,分别是海神(Haishen)、风神(Fengshen)和雷电之神“电母”(Dianmu);属于树名有一个,银杏(Yinxing);属于海洋生物有一个,海葵(Haikui);属于动物有一个,白鹿(Bailu);属于神话故事人物有一个,“悟空”(Wukong),即《西游记》中的孙悟空。
亚洲的14个成员中,大部分用较“温柔”的名称命名台风,如女士的名字,温顺动物、植物、水果、食品和星座名等,大多有文雅、和平之意,为严肃刻板的气象科学技术增添了形象而浪漫的色彩,一方面是期待台风带来的伤害能小些;另一方面希望台风的光临可解除当地干旱和酷热等。
▣ 破坏性极大的台风名称永久不再使用
当某个台风因造成了特别重大的灾害或人员伤亡而声名狼藉时,当地就可以申请在台风命名表中删除这个台风的名称,也就是这个名称将会永远停留在这次破坏力很强的台风身上,再有提交该台风名的成员补充一个。像2019年横扫我国多个省市的超强台风“利奇马”(Lekima),国际编号1909。8月10日1时45分许在浙江省温岭市沿海登陆,登陆时中心附近最大风力有16级;随后其纵穿浙江、江苏两省并移入黄海海面;8月11日20时50分许在山东省青岛市黄岛区沿海再次登陆,登陆时中心附近最大风力有9级,此后其移入渤海海面并不断减弱。“利奇马”先后影响台湾、浙江、福建、江苏、上海、安徽、山东、河南、河北、天津、辽宁、吉林等省(市),造成的中等及以上台风灾害风险覆盖面积达24.8万平方公里。据中华人民共和国应急管理部统计,截至2019年8月14日,“利奇马”共造成1402.4万人受灾、56人死亡、14人失踪、1.5万间房屋倒塌、农作物受灾面积113.7万公顷(其中绝收面积9.35万公顷),直接经济损失515.3亿元。《中国防汛抗旱》杂志在2019年第11期,组织出版了“利奇马”防御专题的九篇文章,对防御“利奇马”进行了探讨、交流和总结。下图是《中国防汛抗旱》杂志目录的截图。

台风“利奇马”具有登陆强度强(1949年以来登陆中国台风中第五强)、陆上滞留时间长(滞留时间为1949年以来第六长)、风雨强度大(为1961年以来最大)、影响范围广(先后影响12个省市)、灾害影响重(造成的直接经济损失是2000年以来第二多)等特点。由于“利奇马”给中国带来了较大的人员伤亡和经济损失,在2020年举行的台风委员会第52届会议上,中国提出将“利奇马”除名并永久不再使用获得通过,其替补名在2021年正式确定为“竹节草”(Co-may)。我国气象局曾经提供过的“龙王”、“海燕”、“海马”和“玉兔”等台风名,均因发展成为强台风或超强台风,给部分成员带来严重的人员伤亡和经济损失而被除名。
▣ 台风预警信号与对船舶、设施的要求
为了规范气象灾害预警发布工作,防御和减轻气象灾害,保护国家和人民生命财产安全,中国气象局、中央气象台在2010年4月发布新的《中央气象台气象灾害预警发布办法》,将台风预警信号分为红色预警、橙色预警、黄色预警、蓝色预警,其标识如下图所示。

蓝色预警信号——24小时内可能或者已经受热带气旋影响,沿海或者陆地平均风力达6级以上,或者阵风8级以上并可能持续。要求“相关水域水上作业和过往船舶采取积极的应对措施,如回港避风或者绕道航行等”。
黄色预警信号——24小时内可能或者已经受热带气旋影响,沿海或者陆地平均风力达8级以上,或者阵风10级以上并可能持续。要求“相关水域水上作业和过往船舶采取积极的应对措施,加固港口设施,防止船舶走锚、搁浅和碰撞”。
橙色预警信号——12小时内可能或者已经受热带气旋影响,沿海或者陆地平均风力达10级以上,或者阵风12级以上并可能持续。要求“相关水域水上作业和过往船舶应当回港避风,加固港口设施,防止船舶走锚、搁浅和碰撞”。
红色预警信号——6小时内可能或者已经受热带气旋影响,沿海或者陆地平均风力达12级以上,或者阵风达14级以上并可能持续。要求“回港避风的船舶要视情况采取积极措施,妥善安排人员留守或者转移到安全地带”。
船长应该组织专人通过中央气象台台风网、中国天气台风网、台风路径实时发布系统等网站,拨打电话12121、96121等,或通过电视、广播、报纸、互联网、手机短信等获得台风预警信息,及时获取台风发生的时间、风向、强度、路径和预计登陆水域等相关资料,这样便可随时掌握台风动向,做到未雨绸缪。还可参考日本气象厅官网等发布的相关信息。
▣ 影响我国的台风路径
台风形成后所移动的轨迹称为台风路径,研究和预报台风路径,有助于提前准备、防灾减灾、减少人员伤亡和经济损失。影响我国的台风路径主要有三条,分别是西移路径、西北路径和转弯路径,其中西移路径主要影响我国广东、海南和广西等南部沿海地区,西北路径主要影响我国台湾、福建、浙江、上海、江苏和山东等沿海地区,转弯路径的台风一般不直接登陆我国,多在朝鲜半岛和日本登陆,我国主要受到外围影响。下图是影响我国的台风路径图。

台风路径也不是只有上述三条路径,下图是台风“利奇马”的路径,出乎大家的预料。

决定台风移动路径的动力主要有内力与外力,内力主要是由与台风本身的旋转、气流辐合和上升运动相联系的地转偏向力引起的。内力的大小和台风的半径,涡旋内空气的辐合、上升运动以及切向风大小成正比,与台风中心所在纬度成反比。外力则主要有环境的气压梯度力和地转偏向力以及摩擦力等。
台风在受到复杂多变大气环境等因素的影响后,会产生抛物线、蜿蜒、摆动、蛇形、旋转等特殊路径。2018年7月,台风“云雀”(Jongdari),国际编号1812,于25日05时在西北太平洋洋面上生成,随后往偏东海域移动,途中被异常偏北的副热带高压强行拽住,改为向西行进,于7月29日晚登陆日本后,受多方天气系统影响,兜兜转转地又在海上转了一个圈,随后向我国东部沿海靠近,8月3日上午10点30分左右在上海金山沿海登陆。下图的台风“云雀”的台风移动路径图,可谓变化多端、史无前例。

目前,气象学家较多是定量分析结合定性分析得出台风移动路径,存在一定的误差。如2015年,在台风“灿鸿”登陆之前的四五天,气象台曾发出“在闽浙一带登陆”的预报,但最终“灿鸿”在浙江省舟山朱家尖镇沿海登陆,偏差横跨了近一个浙江省。成造“福景001”号船体断裂、沉没的3号台风“暹芭”,预报的路径也在变化中,刚开始预报是在湛江登陆,后来实际是在茂名电白区沿海登陆,也有一定的偏差。当然,经过不断的订正,在登陆前6个多小时的最后一次预报中,基本准确预估了登陆地点,但是对航行速度不快的船舶而言,风险很大。有专家称,对于单个登陆台风而言,24小时路径预报误差每减小1千米,可减少因灾直接经济损失约0.97亿元;强度预报误差每减小1米/秒,可减少因灾直接经济损失约3.8亿元(以2014年为基准年),由此可见准确预报台风的重要性。
▣ 台风带来的灾害
台风是破坏力极强的灾害性天气,它的强大破坏力主要来自于它迅猛的风速,通常风力越强的台风破坏力越大。台风产生的灾害还有暴雨和风暴潮。
强风:当台风的风力达到12级(32.7米/秒)时,相当于每平方米要承受约230千克的压力。强台风可以直接吹倒建筑物、拔起参天大树、毁坏农作物等,让锚泊中的船舶走锚、断锚链,接着是发生碰撞和搁浅事故,甚至直接倾覆等。2018年9月6日,超强台风“飞燕”(Jebi)、国际编号1821,在日本登陆,一艘锚泊的油轮“HOUN MARU”号走锚,碰撞了唯一通往大阪国际机场的桥梁,造成油轮和桥梁均严重受损,桥面错位、交通中断。下图是油轮碰撞桥梁后桥面错位的照片。

暴雨:在台风经过的地区,一般能产生150毫米~300毫米降雨,少数台风能产生1000毫米以上的特大暴雨。1975年8月8日的7503号台风“尼娜”(Nina)创造了多项中国大陆地区暴雨极值,并直接制造了河南“75.8”特大洪灾。下图是超强台风“飞燕”带来的暴雨,使得日本关西国际机场的停机坪成为“湖泊”、廊桥成为“码头”。

风暴潮:台风靠近时,其增水作用可使潮位猛涨,水浪排山倒海般向海岸压去,引起海面巨浪,严重威胁船舶安全。下图是超强台风“飞燕”登陆日本时,海岸掀起的惊涛骇浪。

强台风的风暴潮能使沿海水位上升5~6米。若风暴潮与天文高潮位相遇,则容易造成海堤溃决,淹没城镇和农田,造成人民生命、财产的巨大损失。2019年10月13日,在台风海贝思席卷日本中部和东部的一天后,引发了前所未有的降雨和灾难性洪水,下图是长野县北陆新干线火车站被淹没。

▣ 台风带来的好处
万物皆有两面性,台风在危害人类的同时,也在保护人类,有专家指出,台风带来的好处远大于由于破坏带来的坏处。首先是我们地球之所以保持目前这种相对热平衡和温度平衡的状况,台风的功劳是巨大的。靠近赤道的热带、亚热带地区受日照时间最长,如果没有台风来驱散这些地区的热量,那里将会更热,地表沙荒将更加严重。在酷热的日子里,只有台风会带来凉风习习、降温消暑。同时,没有台风的寒带将会更冷,温带将会消失,我国将没有昆明这样的春城,也没有四季长青的广州,“北大仓”、内蒙古草原亦将不复存在。

其次是台风给人类送来了巨大的淡水资源,大大缓解了全球水荒。一个直径不算太大的台风,登陆时可带来30亿吨降水。我国台湾省丰沛的雨量主要来自台风,日本也同样。对许多夏旱地区来说,如我国江南、华南地区和东北诸省,台风带来可观的降水,解除了干旱,使庄稼得以正常生长。台风带来的大量降水,会使大小水库蓄满雨水,水利发电机组能够正常运转。台风给当前盛行的风力发电机一次满发电的好机会。

再次是在台风影响下,天空电闪雷鸣,使高压云层的温度高达摄氏万度以上,促使大气中的氮和氧气发生化学反应,倾盆大雨又把氮氧化合反应物溶解,随雨一同降落到地面,为植物生长提供了氮肥。据专家计算,全世界每年由空中降落的氮素化肥达1000万吨以上。

然后是每当台风吹袭时,翻江倒海,将江海底部的营养物质卷上来,有利于鱼群生长和吸引其在水面附近聚集,渔获量自然提高。最后是台风能驱散雾霾、净化空气中的灰尘颗粒;带来的闪电能杀死空气中的有害物质,产生臭氧,对改善大气质量有重要意义。《自然》杂志曾经刊登论文,台风的气压会引发“慢地震”,使地层的能量逐渐释放,减少和避免产生大型的地震。
▣ 台风与航海安全
台风与航海安全是一个很大的话题,一直被航海工作者关注!一般认为,在台风季节,船舶应密切注意台风动态,掌握发展趋势,加强值班值守;提前检查影响船舶操纵性能的推进系统和转向系统、系缆设施、锚泊设施、水密系统、通讯设备等发现问题及时解决;落实相应的防台物资,做好船舶防台风的预防措施等。
船舶航行避台就是改变航向和航速,努力使得船位远离台风和经过的路径;或船舶在海上利用车、舵顶风滞航,等待台风过境后再继续航行或进港进行装缷货。如果是锚泊抗台,一是合理选择锚位。船舶应选择底质好,并能遮蔽最大风向及长浪的锚位,应与附近船只及障碍物保持足够的安全距离,避免在水流湍急之处下锚防台;二是选择锚泊方式。根据海船多年来的抗台经验,船舶锚泊抗台应首选“一点锚”(也叫平行锚);三是主机等设备处于可用状态,必要时用主机可减缓锚链的受力。如果在台风袭击时,船舶和码头不会被涌浪冲击而造成伤害,可以考虑码头系泊抗台,但是一般是尽可能避免在码头或无遮蔽港口抗台。在有的港口水域,船舶必须采用系浮筒抗台时,应用主锚的锚链系带,再带2至3根尼龙缆,以缓冲锚链的受力,系缆与锚链应受力均匀。为防止偏荡,还应加抛立锚。必要时,船舶应申请救助拖轮、港口作业拖轮等在船边协助抗台;还应及时与岸上有关部门联系,争取岸基支持和救援。建议为船员配备落水后能自动发送位置信息的救生衣,这将极大提高落水船员在救助黄金时间的生存概率……
相对而言,“四客一危”船舶、新建船舶、施工船舶、长期锚泊船、老旧船舶及无动力船舶等是防台的重点对象,防台难度更大。因为笔者各方面的局限性,不再叙述。
2015年10月1日,美国一艘有33名船员、船名为“El Faro”号的集装箱船,于当地时间9月29日离开佛罗里达州后,因遭遇飓风“Joaquin”而失踪。10月31日,美国海军搜救队在海底发现“El Faro”号,并确认船上33名船员全部遇难,成为美国近30年来最大的海上事故。下图是“El Faro”号。

经过长达26个月的调查,2017年12月,美国全国运输安全委员召开听证会,依据其调查对该船沉没的可能原因做出了相应的说明。船长的过度自信以及航运公司糟糕的安全管理可能是造成本次事故的重要原因;“El Faro”号是一艘船龄已经达40岁的老旧船(建于1975年1月),该船水密完整性也有问题;该船的所属救生艇也未达到相应的标准等。下图是沉没在海底的“El Faro”号。

台风属于严重的自然灾害,我们人类只能去防范或减轻其造成的损害后果。台风往往导致当地的强风和暴雨,妨碍了搜救活动的正常开展。相比于自然,我们人类始终是渺小的,所以我们时刻都要保持一颗敬畏之心!
所有图片来自网络,感谢摄影师拍摄的精美照片!