
之前我们说过,孩子为什么总是特别招蚊子的原因:为什么蚊子总能在人群中,精准的找到你家宝宝?
其实到了夏季三伏天,雨水频繁,气候闷湿,这样的环境不只是蚊子,更是各种昆虫的繁殖与活跃期。
大量的昆虫、小动物更是宝宝居家及户外活动时的极大安全隐患。
宝宝娇嫩的皮肤被叮咬后不仅会出现瘙痒不适,如果处理不当,严重的甚至会威胁到宝宝的健康。
夏天到,宝宝新一轮的防虫大战,你准备好了吗?
1
先来了解这些可恶的虫子
俗话说“知己知彼,方能百战不殆”。
想要帮助宝宝更好的防虫,驱虫,我们就要先了解这些对宝宝有危害的虫子。
1
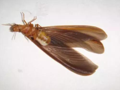
隐 翅 虫
隐翅虫,又被称为“影子虫”、“青腰虫”。
多数细长,体小,外表看起来就像是长着透明翅膀的大蚂蚁。

出没地:
隐翅虫有一定趋光性,奔跑速度也很快,一般会在下雨前大量进入室内灯光低下。大多会在潮湿的地方活动,例如:水沟、池塘、农田、丛林等;
注意区分隐翅虫与飞蚂蚁!

飞蚂蚁其实就是白蚁的俗称。
夏季傍晚或暴雨前后,白蚁常会成群的进入室内,聚集在灯光低下。
白蚁是一种危害极大的世界公害,但对人体却不会造成直接危害。所以看到白蚁时,我们常常置之不理或直接用手拍打。
白蚁与隐翅虫有一定的相似度,所以一定要注意区分两种虫子,避免误认后拍打受伤哦。
危害:
隐翅虫很常见,但我们常会将它与其他蚁类混淆,而忽略了它的危害性。
隐翅虫其实并没有毒腺,也不叮人。
它对人类最大的威胁,其实是它具有强酸性的体液。毒隐翅虫的毒素,甚至是胜过眼镜蛇毒的强烈接触毒素。
如果直接用手在皮肤上拍打或捏碎、搓揉隐翅虫,隐翅虫毒液溢出,被粘染到的皮肤就会出现急性炎症反应。
而中毒症状因人而异,有的人只是出现轻微红肿,有的则会起骇人的脓疱。
接触毒液的部位如不及时处理,再带至其他部位,还会引起大面积的接触性皮炎。
隐翅虫皮炎一般6月份开始出现,随着其活动的频繁,8~9月份则是发病的高峰期,家长们一定多加注意。

(图片来源:大潮网)
去年7月,浙江海宁市就有一位十几个月大的宝宝跟着家长到公园散步后不小心接触到了隐翅虫,眼睛周围、手上都长满了红斑、脓包,看完令人十分心疼。
隐翅虫这样处理:
1、不要直接用手拍打、捏碎;
2、隐翅虫掉落在裸露的皮肤上,应该吹掉或用其他物品将其轻轻剥掉;
3、不小心接触到隐翅虫毒液,可以用肥皂反复清洗该部位,如灼痛、红肿加剧,应该到医院就诊治疗。
2
蜱 虫
蜱虫,俗称狗鳖、草别子、牛虱,是一种喜欢潜伏在浅山丘陵植物上或动物皮毛上的昆虫。
对人体,尤其对皮肤娇嫩的儿童来说,是危害性极强的昆虫之一。

外形:
蜱虫在不吸血时只有绿豆、米粒大小,吸饱血会有黄豆或指甲盖大小。
出没地:蜱虫大多在森林、灌木丛、草原、山地的泥土以及家畜的圈舍、野生动物的洞穴、鸟巢及人房的缝隙中出现。
危害:
小小的蜱虫,你可不要小瞧它。
蜱虫接触人类或动物皮肤后,会通过叮咬吸血,某些蜱虫在叮咬人的同时还可将有毒素的唾液注入人体内。
被蜱虫叮咬后,会造成局部充血、水肿、急性炎症反应,还可引起继发性感染。
有的甚至在叮刺吸血过程中唾液分泌神经毒素,导致被叮咬者运动性纤维的传导障碍,引起上行性肌肉麻痹现象,甚至可因呼吸中枢受侵出现呼吸衰竭而死亡。
这也称为蜱瘫痪,且特别多见于儿童。

去年6月上旬,美国密西西比州杰克逊市一名5岁小女孩无缘由的突然出现了无法站立、行走,说话都困难的情况。
最后在女孩的辫子里发现了一只蜱虫,才确诊是蜱虫叮咬导致的蜱麻痹。
处理:
被蜱虫叮咬后,及时的发现和正确处理非常重要。
由于蜱虫在叮咬的同时,会将头部深深的埋入皮肤,甚至钻入人体皮肤内,难以除去。
所以带孩子到户外活动后,要及时检查孩子皮肤,是否被蜱虫叮咬,并在蜱虫未完全进入皮肤时采取措施。
× 用手将蜱虫拔出;
蜱虫叮咬后会将头部深深埋入人体皮肤,生拉硬拽的话,很可能将蜱虫的头部留在皮肤内难以清除,造成严重的继发感染。
√ 用镊子将其取出;
可以先在蜱虫身上涂酒精或用烟头、香头轻轻烫蜱露在体外的部分,使其放松或死亡后,用尖头镊子将其慢慢取出。
避免蜱虫要注意:
1、儿童尽量避免到不熟悉、人类活动较少、环境复杂的草丛、丛林活动;
2、被蜱虫叮咬后,用手硬拽很可能导致蜱虫残肢留在皮肤内,产生继发性损伤;
3、被蜱虫叮咬,应用镊子抓住其头部附近轻轻拔出,再到医院进行处理;
3
蜈 蚣
蜈蚣大家肯定都不陌生。
蜈蚣是一种有毒腺的动物,它与蛇、蝎、壁虎、蟾蜍并称“五毒”,可想而知它毒性的危害性。

蜈蚣的活动具有明显的季节性。
晚春或初夏是蜈蚣的活跃期,当气温回升时,蜈蚣就会从地下爬出来觅食。
在蜈蚣的活跃期,我们在公园、草坪都能经常看到它们。有的甚至会爬到家里、沙发上、床上。
不知道其危险性的小朋友用手或树枝挑起来玩,一不小心就会被其咬伤。
皮肤被咬伤后于伤处出现两个瘀点,继之周围皮肤亦出现肿胀,有灼热、剧痛和刺痒感,所属淋巴结和淋巴管发炎。
如果被大蜈蚣咬伤,由于注入体内的毒汁较多,除局部皮肤发生红肿或坏死外,还可出现发热、恶心、呕吐、头晕、头痛、心悸及抽搐等全身中毒症状。
处理:
被蜈蚣咬伤后,可以立即用5-10%的小苏打水、肥皂水冲洗,中和其毒液的酸性。然后涂上较浓的碱水或3%的*水氨**。
如果被较大的蜈蚣咬伤,或者处理后还是肿痛难忍,甚至出现头晕发热的症状,最好立即到医院就诊处理。
如何避免被蜈蚣伤害:
1、告诉孩子其危险性,避免接触;
2、保持家里干燥清洁,蜈蚣喜欢潮湿脏乱的环境,可以避免蜈蚣进入家里伤人;
3、可以在蜈蚣经常出入的地方,如下水道、门窗角等,撒一些石灰粉或者除虫药片;
4
臭 虫
臭虫,又称为床虱,主要吸食和温血动物的血液。
臭虫是红褐色,身体扁宽,长4到5mm的小昆虫。
在热带和亚热带地区常见,在国内主要分布于广东、广西两省(区),南方比较多见。

危害:
由于臭虫叮刺时会将唾液注入人体,放出一种扩张血管的刺激性物质,引起瘀点或瘙痒性风团,常排列成行。
还会使皮肤敏感性较高的人出现局部或大片红肿,痛痒难忍。
如果宝宝出现无缘由的皮肤红肿、过敏现象,家长们就要注意检查看看家里、床板缝隙是不是有臭虫咯。
长期叮咬,不仅会严重影响人们的睡眠,还可能可引起人的贫血、失眠、神经衰弱等。

且臭虫喜欢群居,并且怕光,机警且活动敏捷。隐藏性极强。臭虫每分钟能爬行1-1.25m。
所以人们往往总是在不留意时就被臭虫叮咬,却很难发现并抓住它们。
臭虫还有极强的繁殖力,又喜欢隐藏在床板、蚊帐、木质旧家具、墙壁、地板和天花板缝隙等地方,一旦出现,就很难被彻底消灭。
臭虫叮咬后的处理:
1、避免抓挠,可以冰敷止痒;
2、用抗菌肥皂清洗被叮咬处,降低被感染的风险;
如何预防/消灭臭虫:
1、将可能存在臭虫的衣服、床上用品高温洗涤,并烘干或在大太阳下暴晒杀虫;
2、床垫的缝隙是臭虫最喜欢的隐藏和成长的地方,一旦出现臭虫,床垫缝隙的臭虫以及虫卵很难彻底清除。家长们可以尝试清洗并暴晒的方式,如果还是不能彻底清除,就建议将旧床垫换,从根源彻底消除臭虫危害。
2
夏季带娃,防虫总结

1、保持家居卫生;
蚊子、昆虫喜闷热潮湿的环境,家里勤打扫,尽量保持干燥通风。
2、雨天、夜晚关门窗;
夏季常见的昆虫,例如:隐翅虫、飞蛾等,都具有一定的趋光性。下雨天或夜晚喜欢往家里钻。
下雨天或夜晚尽量关闭纱窗,避免昆虫进入室内。
3、防蚊驱虫要做好;
公园、大树阴下都是夏季热门的“遛娃”地,却也是各种昆虫的聚集地。
到这些地点“遛娃”,尽量给宝宝换上轻薄透气的长袖长裤,不要穿开裆裤。
无论长裤短裤,户外活动时,一定不要忘记给宝宝裸露的皮肤上使用驱蚊驱虫液。
.END.
专注母婴健康、教育,陪伴父母共同成长。
微信公众号:dingxiangbaobao