一、郑板桥的字

平心而论,板桥的中年精楷,笔力坚卓,章法联贯,在毫不吃力之中,自然地、轻松地收到清新而严肃的效果。
板桥的行书,处处像是信手拈来的,而笔力流畅中处处有法度,特别是纯联绵的大草书,有点画,见使转,在他的各体中最见极深、极高的造诣,可惜这种字体的作品流传不多。特别值得一提的是他批县民的诉状时,无论是处理什么问题,甚至有时发怒驳斥上诉人时,写的批字,也毫不含糊潦草,真可见这位县太爷负责到底的精神。
——摘自启功《浮光掠影看孚生》

据了解,启功先生不止一次或诗、或文对郑板桥的书法表示赞誉。 称其书法水准远在同时期著名书家刘墉和翁方纲之上。 纵观书法史,能让启功先生如此赞誉有加的书家并不多见。基于启功先生在当代书坛的地位和影响力,他对郑板桥书法的评价,也是郑板桥的作品能够在当今书坛及收藏界广受喜爱和追捧的一个重要原因。
那么, 郑板桥的书法到底算不算丑书呢? 如果真是丑书,为何会获得以尊崇传统著称的启功先生的盛誉?

令人不解的是,以柳体为宗的启功书法,书风严谨而骨力毕现,与郑板桥个性彰显、字形怪异的书风相去甚远;加上启功先生性格谦逊平和,与愤世嫉俗、特立独行的郑板桥亦非同类人。 谨言慎行的启功先生缘何要一再为郑板桥的书法说话? 其实我们稍加分析,就不得不佩服启功先生高人一筹的审美眼光。
乍一看郑板桥的书法作品,的确很容易被他那些略嫌怪异的字形误导。若稍稍用心品读,便能轻松体会其笔力不俗,章法连贯而考究,清新与严谨全在轻松自然间挥洒而成。
启功先生对郑板桥的楷书、行书及大草书皆有独到见解。称其楷书与张照一下任何名家相比均不逊色,处处出自碑帖却化为无形;行书似信手拈来皆有法度;大草书有点画,见使转,造诣极高。

细心品读,郑板桥的书法与傅山的书法一样,在并不讨巧的外形下自有大气象,绝非当世所谓的丑书作品所能比肩。
所以,把郑板桥的书法归于丑书者,或审美能力有所欠缺,这也情有可原;或别有用心者,则贻笑大方。所谓萝卜白菜各有所爱,不能强求所有人都喜欢郑板桥的书法,也应该允许正常的争议存在。但是所有的争论应该都放在艺术的范畴之内,这样对推动书法审美的发展将大有裨益。
二、黄庭坚的意义
如果要评选北宋中后期的先锋艺术家,在我看来,黄庭坚可能要算得上最好的一位。在那个时代,摆脱苏轼的影响殊非易事,更不要说在某些方面有所超越。黄庭坚作为苏门最年长的弟子,不但在诗文方面别开生面、开宗立派,书法也能不囿于师法,不但度越时辈,还可与古人争胜,真可谓大志者与善学者。
鉴于他在草书上达到的境界异峰突起,远迈时贤,其贡献绍于晋唐,很多人将这位江西诗派的鼻祖看作天才。不过事实上,在北宋时期,艺术天分高于黄庭坚者大有人在,因为满足小成或者分心政事,最终都堙没于时代;黄庭坚则是目标专谨,一步一进,终生修持,以渐悟与顿悟的交替,不断超越自身局限,逐渐抵达澄明之境。天才一词,抵消了黄庭坚上下求索的存在状态及其普世意义。

宋 黄庭坚 花气诗帖 台北故宫博物院藏
元丰三年,三十六岁的黄庭坚,旗帜鲜明地提出了“随人作计终后人”“自成一家始逼真”(《以右军书数种赠丘十四》)的观点,展示出过人的抱负与高远的追求。这当然不是一时的冲动之论,在整个青年时期,“自成一家”的信念已经贯穿于他的日常生活。
在别处的赠答诗句中,他一再表达这一坚定和果敢的艺术立场:不为牛后人!比如《赠高子勉四首》之一:“妙在和光同尘,事须钩深入神。听它下虎口着,我不为牛后人。”又比如《再用前韵赠子勉》:“行要争光日月,诗须皆可弦歌。著鞭莫落人后,百年风转蓬科。”在北宋群星璀璨的文化高峰时代,这可以看作一种代际之间的“超越焦虑”,其与苏轼“诗至于杜子美,文至于韩退之,画至于吴道子,书至于颜鲁公,而古今之变,天下之能事毕矣”的感叹,可谓异中有同。

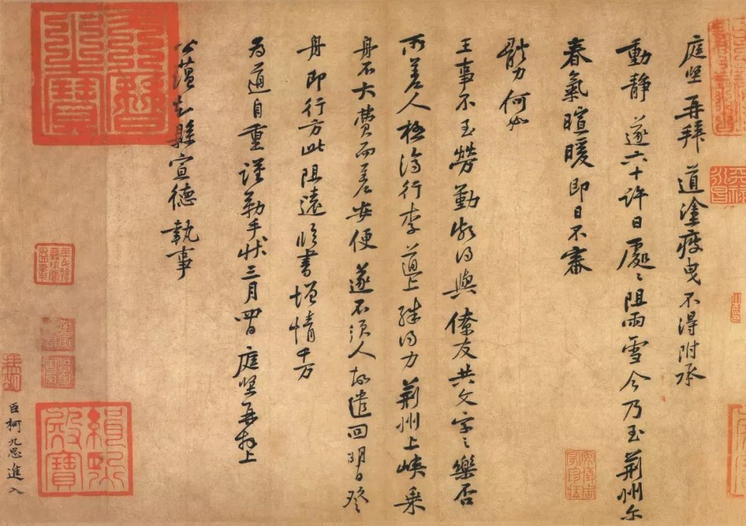
黄庭坚《荆州帖》
正是这种“不为牛后人”的超越焦虑,引领着黄庭坚在艺术大道上不断精进,这一特质在他的草书探索过程中,更是体现无遗。
据他自述,早年学习周越草书,沾染上“弄笔左右缠绕”的习气,且笔法不熟,笔力软靡,俗气难脱,这种状况直到元祐三年《浣花溪图引》尚有表征。
自元祐初期聚游于苏门,在老师及苏门友人钱勰和王巩等人的批评氛围中,中年的黄庭坚反省到自己草书“二十年抖擞俗气不脱”,于是暂时地放弃了草书创作。“余少拟草书,人多好之,唯钱穆父以为俗。初闻之不能不慊。已而自观之,诚如钱公语。”对于自视颇高、追求“韵胜”的书家而言,其鄙夷俗书也到了毫发不容的地步,因此他做出了宁可不写草书的选择。虽然态度决绝,但实际上他对古人草法的关注和探究一如既往。

宋 黄庭坚 诸上座帖 局部 故宫博物院藏
在后期的书论中,黄庭坚一再提到“少近古人”“去古人不远”,明确流露出希冀与古人争胜的心情。这样的思想背景与自我定位,使他在严肃的笔墨锤炼中,逐渐拉开了与同时代书家的距离,进而成为宋代草书的代言人,奏响了盛唐之后沉寂四百余年来草书艺术的又一强音,以独特的面貌雄视千古。
现存书迹中,能看到略早的后期草书已是绍圣二年左右(1095)的作品(《寄贺兰铦诗卷》,黔州),此时的笔墨气象已经大为不同。而这之前的《熙宁帖》(1078前后)、《浣花溪图引》(1088)等作品,正有俗笔不工之虞,一如苏轼的批评说“草书有俗笔”,在这些前期作品中,我们可以看到苏门友人批评所产生的缘由。正是在这种求韵与斥俗的氛围中,黄庭坚始终保持着对草书创作的警惕,不轻易落笔,也不轻易示人,直到后来体悟笔法真谛。



黄庭坚《教审帖》台北故宫博物院藏
“绍圣甲戌,在黄龙山中,忽得草书三昧,觉前所作,太露芒角……”(《书自作草后》)。“晚得苏才翁子美书观之,乃得古人笔意。其后又得张长史、僧怀素、高闲墨迹,乃窥笔法之妙……” (《草书老杜诗后与黄斌老》)
绍圣四年正月,当苏轼从友人手中看到黄庭坚所作草书后,叹赏不已,以张融“恨二王无臣法” 的典故表达了对其笔法新意的认可。晚年的黄庭坚也曾在《跋此君轩诗》中自负地说:“数百年来,惟张长史、永州僧怀素及余三人悟此法耳。”

黄庭坚《山预帖》 纸本行书 31.2×26.8cm 台北故宫博物院藏
从书体的角度看,黄庭坚处处以其师苏轼为坐标、为参照,力图有所超越并自成一家,他的精进追求与艺术成就,因为坐标本身的高远,以及自己持之不懈的努力而不断达到更新的境地。
白政民在博士论文《黄庭坚诗歌研究》中谈到,在诗歌创作方面“黄庭坚虽游于苏门,但他有不为牛后人的气概和求新求变的精神,所以在步武东坡时,能有所趋避,从而自成一家”。其实不仅是写诗,书法方面亦然。

黄庭坚《刘禹锡竹枝词卷》局部
绢本草书,30×182.1cm
浙江宁波天一阁藏
后期草书的气象可以证明,黄庭坚书法成就是有出蓝之胜的。苏轼在惠州时所见黄之草书,还仅仅是其初悟草法的作品,并非高峰期之作,远不能同更后来的《诸上座帖》《李白忆旧游诗卷》等书迹相比。
可以想象,设若东坡能在世看到《诸》《李》等帖,以其胸襟气度,必将感叹黄为当朝草书之冠。可惜在黄庭坚的晚年,苏门友人已纷纷下世,知交零落,徒添山谷老人曲高和寡的孤独。

宋 黄庭坚 李白忆旧游诗卷 局部
日本京都滕井齐成会有邻馆藏
早在王安石主政期间,天下士人出于功名心态翕然学王书,跟风者众。而王安石曾评价黄庭坚诗文说:“黄某清才,非奔走俗吏。”显然是颇为赏识的。
黄庭坚没有向政治上如日中天的王荆公走近,而是选择与外放不得志的苏轼订交,显然更多是源于个性与志趣上的投合。至于黄所钟情的书法,王安石也始终只是信手而已,并未投入多大的心力,其水平未臻上乘。以是观之,苏黄的订交,终其一生穷达的轨迹,更多表现出政治立场上的患难与共, 与文学艺术上的惺惺相惜。

宋 黄庭坚 李白忆旧游诗卷 局部
日本京都滕井齐成会有邻馆藏
作为宋代文坛盟主的苏轼对黄庭坚始终期许很高,甚至还曾戏仿黄庭坚的“山谷体”作诗,苏黄齐名的诗歌与书法成就,也完全印证了苏轼当年的眼力与盛赞。而黄庭坚的交游选择,也充分体现出了他度越时辈的眼力。
黄庭坚一生评价苏字艺术成就的文字很多,且大多已成为品评名句,如“笔圆而韵胜,挟以文章妙天下,忠义贯日月之气,本朝善书,自当推为第一”(《跋东坡墨迹》);“翰林苏子瞻书法娟秀,虽用墨太丰,而韵有余,于今为天下第一”(《跋自所书与宗室景道》)等。对于苏字“韵胜” 的深刻理解与体认,相当程度上体现了黄庭坚对书法艺术的卓越认识。


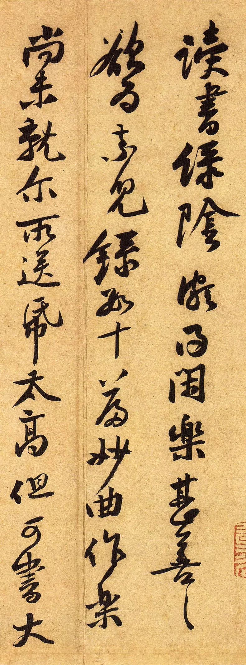
宋 黄庭坚 松风阁诗帖 局部
台北故宫博物院藏
事实上,不论古人今人,只有在真正的、具有永恒价值的高峰面前,努力攀登并力图超越,才能最终成就另一种伟大。
对于师生的成就关系,韩退之一语道出了至理:“弟子不必不如师,师不必贤于弟子”。就草书而言,黄庭坚已经超出苏轼远甚。晚年的一段跋语,尽管委婉,依然表明他的自我评价已经越出师门,直抵古人,读来令人击节:“建中*国靖**元年十月,……为邦直作草,颇觉去古人不远。然念东坡先生下世,故今老仆作此无顾忌语。‘后生可畏,安知来者不如今’者,特戏言耳。”(《跋自草与刘邦直》)
好个“后生可畏,安知来者不如今”。大概正是这种自觉的历史意识贯穿于一生的探索,黄庭坚所取得的成就也是后世瞩目的,周星莲在《临池管见》中说,“黄山谷清癯雅脱, 古淡绝伦,超卓之中,寄托深远,是名贵气象。”黄字在南宋已为天下翕然所从,自明清以来又影响了如祝枝山、文徵明、王铎、傅山、八大等众多大家,越来越展现出超越时空的深远魅力。

黄庭坚《苦笋赋》
纸本行书 31.7×51.2cm
台北故宫博物院藏
历来有成就的书家,天资才力之外,志向高远,不甘人后, 因此对于自己尊崇的老师,也并不盲从,老师既是学习取法的对象,也是创造立新的潜在对手。苏黄终生不渝的坚贞友谊, 与艺术追求上的分合关系并不矛盾,苏黄交游对彼此艺术产生的深远影响,对有宋一代文化建设的积极作用,正体现了精英文化传承过程的内在规律与典型意义。
而以苏轼为灵魂人物的苏门,其自由平等的学术风气, 宽松多元的艺术观念,以及作为后学者的黄庭坚对于“自成一家”信念的坚守,对于独立风格的艰辛探索,都给今天的我们,尤其是今天的高等书法艺术教育,树立了最好的榜样。

宋 黄庭坚 松风阁诗帖 台北故宫博物院藏
三、康里巎巎的墨

康里巎巎(nao),他根本不是什么将军武士,而是元代的礼部尚书、奎章阁大学士。中国历史上第一号的少数民族书法家。
《元史·本传》记载他:“善真行草书,识者谓得晋人笔意,单牍片纸,人争宝之,不啻金玉。”巎巎书法火到这个程度,你说厉害不厉害?
还有更厉害的呢!有人跟他说赵子昂真牛啊,能日书万字。他一听,嘴一撇,回道这算个大白菜呀,我能日书三万字。
(元)康里巎巎《十二月十四日致彦中贤友书》纸本 30.8×55.6cm 台北故宫博物院藏
在赵孟頫书法风行的时代
此淡墨书迹尤为难得
细心读他的字,感受他的用笔
高出鲜于枢是肯定的
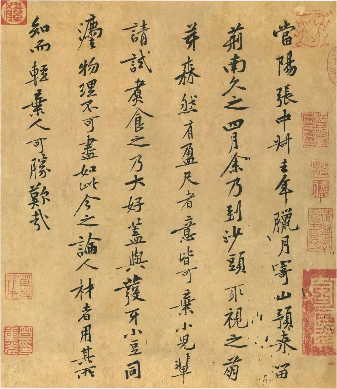
四、米芾的神韵
米芾《参政帖》短短三行,二十余字,却不失为米芾中年风格成熟时期之佳作。此帖最能彰显米芾书法稳不俗、险不怪、老不枯、润不肥的风格特点。
此帖用笔一丝不苟,且显得较为迟重,跌荡磊落,个别笔画显得涩势劲挺。整体间架紧密,欹侧生姿,然法度谨严。笔意俊爽,行气平稳。神韵沉着飞扬,其姿媚处颇得二王的神韵。随意所致,不失天真自然之气。
下面让我们一起来欣赏米芾这幅经典之作:

宋米芾,《参政帖》,纸本,纵19.6厘米 横6.8 厘米,行书三行,27字,现藏于上海博物馆。
释文:苏太简参政家物,多著,邳公之后四代相印,或用,翰林学士院印。芾记。



五、何绍基的颤

何绍基从18岁开始致力于科举考试,直到37岁时才中榜湖南解元,本来殿试有希望夺魁,但最终因“语疵”降为二甲第八名。在京十年,尽管政绩不凡,但何绍基始终未得道光皇帝的提拔和重用。
到咸丰帝登基,经人保举,何绍基得皇帝两次召见,并委任为四川学政,相当于四川教育厅厅长的职位。何绍基深感皇恩,并依圣谕,对“地方一切情形,访查具奏”。不过,言多必遭小人陷害。任期不足四年,何绍基就被朝廷削去官职,从此绝意仕途,遍访山水,四处讲学。
何绍基熔铸百家,开宗立派,为碑*运学**动中第一位有效的践行者,于楷则力厚骨劲、于行则沉雄峭拔、于隶则古茂朴厚、于篆则遒峻凝重的独到之风。他的书学创新对后世书坛以及湖湘文化均产生了深远影响。湘军将领左宗棠、湖南旺门谭延闿、地方大儒王闿运、民初“南曾北李”之曾熙、李瑞清,人民艺术家齐白石……他们的书法,皆从不同角度传自何绍基衣钵。
值得注意的是何绍基晚年书法的颤笔风貌。

何绍基《题“墨饴”横披》 45.5cm×161.5cm 1871年 湖南省博物馆藏
他的这种颤笔现象历来被世人所重视,李瑞清等人以为这样更能表现斑驳的金石气而刻意摹仿何氏,故意颤动笔杆。
张盈袖在《何绍基书法及其书学思想研究》一文中认为,这里面存在着很大的误会,何绍基书法的颤笔现象并不如李氏所理解那样。其颤笔是因为右臂颓废,拿不稳笔杆,控制不住笔锋而形成的。
这一点在何氏自己的日记、与人的信札及好友诗文集中多有记载。
何绍基称自己右臂有问题的时间为咸丰十一年(1861),时六十三岁。他在诗中自言:“臂为之痛,将来能保不左手乎?”
在同治初年致好友杨瀚书札中,何绍基曾向杨氏请教左手作书的方法。可见其右手问题已经非常严重了。并且这一病症持续多年,直到同治十一年(1872),何氏去世的前一年,其好友方浚颐在诗中提及绍基的来信仍称自己:“手颤不能成字。”
何绍基右臂渐为颓废这一事件,在其挚友吴云致陈介祺的信中也有记载:“(何氏)自去年以来多病手颤,艰于握管。”
由此可见,绍基在晚年右臂有疾这一事件定为不虚。从其流传作品中也可以发现,在何氏早、中年时期作品中并没有颤笔现象,而晚年所书者满眼颤笔,这并不是何绍基故意为之,其难处为外人难道也。
另一个值得注意的是何绍基的执笔方式——回腕执笔法。

何绍基执笔姿势
据张盈袖介绍,何绍基执笔高悬肘臂,大、小臂与手腕同高,手背与小臂平行,虎口向内,手指以龙眼法握笔管,所以其称书法“贵在悬臂能圆空”。此“圆空”为肘部如“婴儿抱”、五指横撑的龙眼执笔法,而并非腕部的弯转圆环。何绍基用笔以指为不动而腕活,如他人理解的“回腕”则腕部为僵死。再将全身之力发自指尖,达到笔力精绝,力透纸背的效果。
何绍基的挚友陈介祺认为,其执笔法是要“中锋直立”,以求“篆隶遗意”。而且他这种高悬肘臂,成引弓之势的执笔方式,使其运笔止限于胸前两手之间。这样做的最大好处就是防止作书平滑,以增加运笔“涩势”。何绍基的复古不仅体现在其学习篆隶古体书法上,而且他采用的这种执笔方法也是为了使其书更具有“篆隶遗意”。
▌楷书
何绍基早年反复临习颜体楷书,颜体成为他学书的基础。
他于27岁时在济南获得孤本《张黑女墓志》,视若珍宝,行旅途中时时拿出欣赏,反复琢磨。《张黑女墓志》的书法风格精美遒古,多出隶意,属于北碑中工整、秀美一路。何绍基对《张黑女墓志》的欣赏也在于它“化篆分入楷,遂尔无种不妙……未有可比肩《黑女》者。”
这一年,何绍基曾经书写《跋小字*姑麻**仙坛记旧拓本》,已具有颜书味道,字的重心稍微偏上而显得字势挺拔开张。

何绍基书墓志铭《泉山墓表》 1832年 湖南省博物馆藏

《泉山墓表》局部

何绍基《写黄庭内景玉经》 1843年 湖南省博物馆藏

何绍基《楷书洁园记屏》 1865年 辽宁省博物馆
▌行书
何绍基的各体书法中,以行书成就最高。何氏早年从颜真卿书法入手,以《争座位帖》为根基。通过大量反复的临摹,此帖书法精熟于心,得其神髓。何绍基学颜真卿行书的功力,可谓“入颜鲁公之室”。正是这样的经历使其书法一生都带有颜书气韵,也为其日后的变法打下了坚实的基础。

何绍基行书苏轼《跋韩退之送李愿序》屏 163 cm×30cm 湖南省博物馆藏
此屏书法为何绍基盛年所作,大气磅礴。何绍基中年时期行书的变化,多得力于他收藏的大量的金石碑版拓本。故马宗霍称其:“中年极意北碑,尤得力于《黑女志》,遂臻沉著之境。”但其得力者不仅为北碑,更有秦汉金石碑版的厚重金石气。此时何绍基亦大量临习欧阳通的《道因碑》,何氏所临习者更加强调欧书中锋芒尖锐,险劲横轶,何绍基将此笔法融于行书。
晚年何绍基将篆、隶、楷笔意皆融入行书,行笔裹锋,强调涩势。字形多桀倔奇变,正欹相合。章法上也采用篆隶书体和楹联的书写方式,萧散古穆。加之“纯以神行”的性情抒发,遂成为“有清二百余年一人”。
▌隶书
何绍基晚年书法专攻篆隶,据何绍基于咸丰八年至九年的日记记载,其几乎无日不临习汉碑,所摹汉碑种类繁多,有《礼器碑》《张迁碑》《衡方碑》《石门颂》《鲁峻碑》《乙瑛碑》《曹全碑》《孔宙碑》《史晨碑》《封龙山碑》等,在同治年间又曾临习过《西狭颂》《武荣碑》等,并且所“摹汉碑每种至数百通”。由此可见,其于汉碑用功之深。
何绍基的隶书作品主要分为两类,一为临摹各种汉碑,一为用隶书创作的楹联、册页、条幅等。他所临摹每种汉碑都可达近百通,但所临者“乃无一相似者”。何绍基于《张迁碑》至少曾临习过一百通,其用功之深,可见一斑。

何绍基《驾言游好》隶书五言联 106cm×28.5cm 湖南省博物馆藏
《驾言游好》联用笔缓涩,横笔鲜有拱势,方起多按,几乎全是《张迁碑》气息,何绍基书法向来长于细粗对比,此幅上联末字“岳”与下联首字“游”用提笔轻过,带来生动变化。
▌篆书
何绍基篆书最重要的影响是其取法周秦金文,并将大篆的用笔融于小篆之中,更具高古气韵。

何绍基篆书庾信《镜赋》节选屏 114.5cm×28cm 1867年 湖南省博物馆藏
此屏篆书,何绍基将金文笔意融于其中,体势却为小篆,甚至时有汉隶之态。线条多为粗细匀一,每笔皆保持“人锋中正”,而显遒劲圆润。但如“横”“云”“年”等字,一笔之内粗细变化甚大,与匀一者交相呼应,使作品更为生动,也倍增古穆金石之气。
此作品将小篆体势修长转变为宽博圆厚,这是与何绍基篆书审美取向有关的。何绍基以为秦小篆虽然雍容浑穆,但其更为欣赏的是古拙淳朴之味。他认为汉代篆书因其将秦篆流转修长的体势转变为宽博方正,这样才更接近周前朴拙的书法状态。
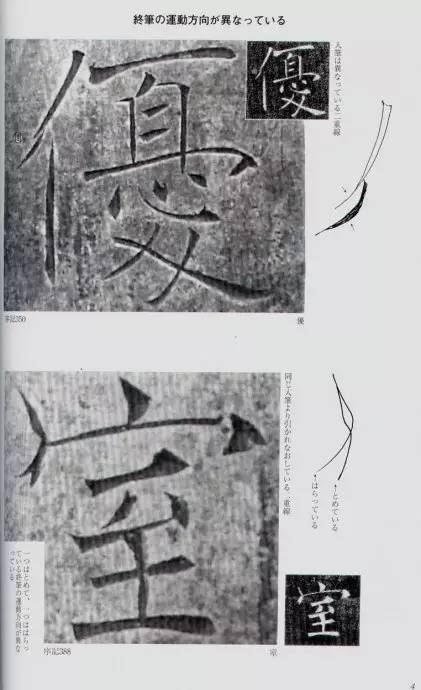
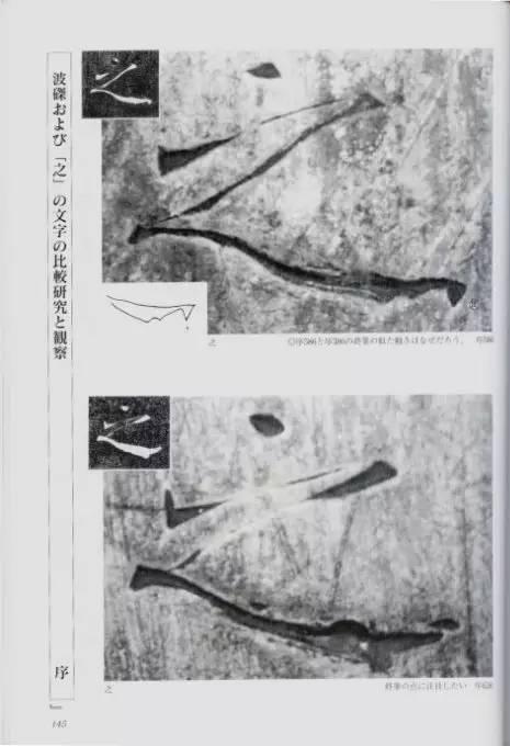
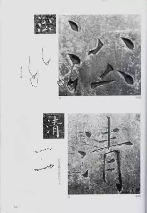
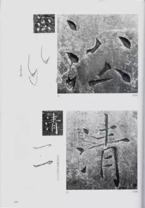
六、褚遂良的精绝
《雁塔圣教序》为褚遂良五十八岁时书,是最能代表褚遂良楷书风格的作品,字体清丽刚劲,笔法娴熟老成。褚遂良在书写此碑时已进入了老年,至此他已为新型的唐楷创出了一整套规范。


这本《唐褚遂良书雁塔圣教序》,*物文**出版社出版。作者是日本的荒金大琳先生同他儿子荒金治一同整理的。再次详细翻看这本书,竟然如受了禅宗的“当头棒喝”,一下子灵台清明!这本书通过大量的图片对比,揭示了褚氏百炼钢化作绕指柔的神奇用笔之道。



































因为我们看到的多数是碑拓的原大印刷本,字体原大也就是2厘米见方,加上黑底白字湮水,很多长笔画看上去是一道细白线,有的笔画时断时续,实际上是刻工处理的效果,这就影响了读者对笔画原意原型的认识理解。


我们都知道碑刻比拓本更清晰,能真切的感受到大师用笔的轨迹和状态,甚至一些拓本根本表达不清的,非常细微的补笔、错笔、调峰以及牵丝映带,原碑刻能都看的清清楚楚。所以,找一本有原碑高清照片和好拓本放大对比的字帖,来做学习《雁塔圣教序》的范本才是较好的。


后代书家爱写褚体的有薛稷、米芾、赵世骏、沈尹默等。尽管是一代书家的名作,《雁塔圣教序》拓本中仍存在相当多的修改笔画的现象,看上去让人费解,模棱两可。认识雁塔圣教序笔画修改问题对于临习它是很重要的,但在学习过程中容易被忽略。


因为我们看到的多数是碑拓的原大印刷本,字体原大也就是2厘米见方,加上黑底白字湮水,很多长笔画看上去是一道细白线,有的笔画时断时续,实际上是刻工处理的效果,这就影响了读者对笔画原意原型的认识理解。
























































































看完上面的图片,我们应该能看出碑刻比拓本更清晰,更能真切的感受到大师用笔的轨迹和状态。甚至一些拓本根本表达不清的,非常细微的补笔、错笔、调峰以及牵丝映带,原碑刻能都看的清清楚楚。所以,白云以为找一本有原碑高清照片和好拓本放大对比的字帖,来做学习《雁塔圣教序》的范本才是较好的。



































































