世界上最治愈的东西 第一是美食,第二才是文字

这个周末的微博、朋友圈被一颗水果刷了屏!
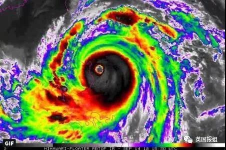
今年入夏之后,台风跟串串一样,一个接一个得造访,而这次的台风怪——“山竹”,却不似以往的台风,它的画风是这样的!


看到没,房子都被吹晃了,太吓人了,

外网PO出的卫星云图的台风,有没有很像恶魔之眼! 目前,山竹已致广东2人死亡,澳门15人受伤,心疼南方的同胞们。

受“山竹”的影响,无锡也进入了“多雨模式”,虽说一场秋雨一场凉,但是这一波雷雨天,空气中黏答答的,也很闷热,到处湿漉漉的,这样的天气实在是不太适合出去逛吃,其实每个居民区的附近都会有非常不错的餐馆,风大雨大的,小吃货们最近两天便就近解决一日三餐吧!
榜妹今天就来给各位推荐家门口的美食!

猫小胖不等位
无锡市梁溪区李巷87号(近曹张汉乡)
这家在无锡吃牛蛙味道和性价比都很高,也算是家老店了,炭火铜锅系列,亲测非常好,无论从价格、口感、颜值都到位!赫赫有名的蛋黄焗南瓜和碳烤猪手味道真是没话说超级好吃






高庭粤·鲜入围煮·港记
新吴区新地假日广场82号
0510-82730966/15852744800
藏在假日广场里的一家店,在东亚风情街那边,进了广场往右走,周围都是日料,这家门头很亮,上下两层,桌子不多,但装修很别致,浓浓的港式风情。红泥炭炉,花胶鸡汤锅,很滋补,味道也很鲜,鸡肉特别嫩,花胶是上过之后自己放下去的,一点都不腥,吃完鸡肉可以涮海鲜小青龙、斑节虾、黄金贝特别新鲜,现捞现杀,肉质鲜嫩,就是自己要掌握好时间,煮老了就不好吃了!






老李家饭庄
滨湖区梅园独月路56-58号(近梅园)
无锡菜,口味偏甜。味道不错,物美价廉。柠檬糖醋里脊,招牌菜,好吃,搭配柠檬酱,中和了甜腻感。糖醋带鱼烧的也很好,很入味,感觉稍偏甜了一点。番茄蛋汤用菜油烧的很香。其他菜味道也还可以,服务态度也挺客气的。







和团团
无锡市滨湖区蠡溪路38-11号(蠡溪西苑内)
很有名的无锡菜馆。位于蠡溪桥下,一片绿化掩映,有种隐市高人的感觉。很干净的店堂,亲切的装修,像回到家一样好菜都是家常菜,味道都不错,羊肉分量不小,也新鲜,味道不错,松鼠桂鱼,很大一条,而且调味调的超正,红烧小黄鱼,鱼肉很嫩。吊鸡卤,鸡肉很好吃,吃完后,还可以加点小青菜鸭血之类的烧汤。






绿膳坊
地址:金太湖二期1444号
电话:0510-82607168/18051571717
以徽菜为主的餐厅,中式装修,格调精致富有品味,只提供包厢用餐,注重客人隐私性。黄山臭鳜鱼,天麻老鸡汤、杂鱼锅这一类传统的徽菜,口味地道,用土鸡土猪肉黄牛肉这样原滋原味的这些原生态食材做出的菜也是特别美味!
旗下还有卤味品牌——五味卤道夫,他们的卤味讲究鲜香麻辣爽的五味口感,坚持传统,延续千年川卤工艺,意在打造纯正的百年川卤品牌。



小峰饭店
地址: 中山路726号(近电信北大街)
这也是一家老店了,最近几年开了很多分店,但榜妹还是喜欢南长街正对面的那家旧店,无锡本帮菜,门面不大,但有很多回头客,菜品的话 比较家常,平日里三五老友小聚聚还是很不错的!







小李仙墙房
惠河路196号
(第四人民医院住院部旁弄堂内)
在四院后面的小弄堂里面,第一次过来的客人找起来有点麻烦,店家开业以来生意一直多很不错,口碑很棒,很多都是老客人带来的回头客!店里面积不大,装修清新简约,是无锡本地口味,黑椒牛柳炒的杏鲍菇味道很棒,一桶豆腐,好吃,里面食材特别丰富,剁椒鱼头做得特别地道,就是稍稍有点辣,他家用的是大锅做的菜,味道特别赞!







吃货们总是能找到各种理由下馆子打牙祭的,这不台风过境,这颗“山竹”带来的风雨的着实吓坏了一群人,买菜做饭啥的就算了吧,毕竟家门口的餐馆也是极美味的!
一场秋雨一场寒,各位早晚注意添衣!
