2020年是比较难熬的一年,这一年因为疫情,让太多企业倒下,也让太多的人下岗失业,这一年对很多人来说注定是不平凡的一年。在2019年末几个小伙伴选择创业,2020年初遭遇突然爆发的疫情,经过大家的共同努力这一年终于熬过来了,回望过去这一年里每天早九晚十单休的超负荷工作,唯有周末单休一天钓鱼能缓解那不堪重负的工作,一年52个周末,基本40个周末在钓鱼,想想也是佩服自己。

2021新年必须找个依山傍水的地方休闲垂钓,想想2020的迎新跨年是在远近闻名的马堵山水库,水边一坐寄托着水里的夜光漂,看着天上繁星点点,凌晨听闻远处镇子上升起漂亮齐鸣的烟花,期望着2020新年新气象,芝麻开花节节高。

今年一起出行的搭档还是兰工小勇亮仔我们四人,在元旦之前早已谋划好今年的去处文山文山马鹿塘水库,水库位于文山跟越南的边境,水库下游不远就是越南的国界,第一次钓鱼差点钓出国了,昆明出发全程460公里,这次的计划依然是下班后8点从昆明出发,12点半抵达文山马关,小勇已经提前预订好酒店,半夜又带我们去马关吃马关特色烧烤,遗憾的是马关第一烧因为太晚满桌没接待我们,换了一家味道依然胜过昆明吃过的任何一家烧烤。美食完毕2点有余,酒店休息明天也算是开启我们元旦节马鹿塘水库的探钓之旅。
文山马鹿塘水库探钓视频一: 文山马鹿塘水库探钓,昆明出发427公里,马关落塌半夜美食不落下
文山马鹿塘水库探钓视频二: 文山马鹿塘水库探钓,体验云南仅有的钓棚,罗非连杆钓到手酸过瘾
文山马鹿塘水库探钓视频三: 云南文山马鹿塘水库探钓,罗非狂口鲤鱼连杆,两天鱼获满满一大盆

早上7点起床在酒店简单地吃了早点继续朝着目的地马鹿塘出发,马关到马鹿塘水库剩余80公里,按照小勇的说法马关出发上个坡到顶以后再下到坡底,可以想象这个坡是有多高,在我的想法中是40公里的上坡,40公里的下坡,沿途一直下着绵绵细雨,兰工驾驶着汽车小心翼翼的在雾气缭绕的环山森林公里穿梭着,有种云深不知处,只缘身在此山中的感觉。马关出发到马鹿塘水库的路况不算很差,已经沿途盛产香蕉跟甘蔗,经常有大车搞运输,砖体的弹石路路面也仅有2处比较恶劣,太快了容易挂底,只要缓慢行驶也能顺畅通过。

经过2个多小时的颠簸,沿途好多成片的香蕉林及榨糖甘蔗,这应该是当地的两种主要的经济作物,10点半抵达了这次的目的地——南温河码头,水泥路直通清澈的水库,看得出来现在的水位还是比较高呢,码头每隔5-10分钟就有载入或者载车的转运轮船抵达,把乘客跟汽车送了抵达岸边后又拉着码头的车辆及过往的行人去到对岸码头。

对岸听小勇说是麻栗坡码头,乘船过去就可以抵达麻栗坡了,在我印象中麻栗坡好像是个传奇的地方,云南有十八怪鸡蛋串着卖,麻栗坡就比较夸张:*榴弹手**机枪都摆在接上卖,当然这些都是以前中专的时候宿舍里面的文山同学一起吹牛的时候,他最以为傲的牛皮。云南那么多个地州就文山这个同学吹起牛来让我们其他地州的同学望尘莫及很是膜拜。

我们抵达码头小勇就联系了老板,老板驾驶着他的小船朝着码头驶了过来,只是大船在的时候老板的小船老远远地就一直停在水库中间,等船上装载好车辆离开以后,老板才开足马达朝着码头驶来,开始还不明白其中的意思,最后小勇一解释才明了了,原来大船马力十足,螺旋桨带起的波浪足以将这个不算小的铁皮船打翻,也真正的诠释了:忍一时风平浪静、等一哈海阔天空的道理。

船才靠岸,大家迫不及待麻利地把装备搬上了船,催促着老板赶快出发,毕竟马上抵达钓棚以后就可以开杆钓鱼了,期待这一刻相信是每个钓鱼人梦寐以求的,今天天气不给力,还好昆明出发的时候大家装备都是轻装,但是衣服绝对是重装,各种大棉袄、冲锋衣棉裤等防寒搭配,为这次的探钓做好了充分的准备工作,在乘船的时候刚好大家都聚在一起调侃天气,干脆来个合影好了,毕竟兰工小勇亮仔虽然我们一年里会约个40多次钓鱼好像还没留合影,以后得慢慢收集存档了。一年下来出一本书也不是问题了。

抵达我们的预定钓棚,湖面风力不减,照样影响不了我们下杆的激情,今天的钓棚是两室一厅的,两个卧室各2张高低床,也就是每个房间可以住4人,中间有个客厅是可以用来堆放钓具饵料等这些垂钓用品的非常宽敞,上了钓友大家就忙着找自己中意的位置,我们跟兰工在钓棚的左手边,这个位置风小,侧面也刚好可以钓手杆,小勇在钓棚中间钓大水面,亮仔在钓棚的左手边也是跟我们一样钓浅水,各自找好窝子这时老板也送今天的午餐过来了,
午餐使用的不锈钢带盖的饭盒,一份米饭一荤两素一汤,荤素搭配还不错,只是天气天阴加刮风,所以冷呢比较快,兰工一直催促赶快吃饭了,的确饭盒一凉就很不好吃了,油水都会腻起来,这个饭算不上丰盛,但是管饱撸鱼是没问题的,有人送饭的好处就是,当你觉得饿的时候差不多老板就把饭送来了,而不是等到发现自己饿了才到处去找吃的,所以钓鱼人只要有吃的都不会在意那些小细节,只要卫生管饱安全就可以了。

吃完饭后,亮仔上了开竿鱼,一条有效的黄辣丁,每次亮仔跟我们出来钓鱼都是最先上鱼的那个,但是每次钓到最后能把鱼钓了闭口,记得上次去封过水库也是一样的,开始连杆狂口,到后面坐在凳子上看我们表演各种连杆双飞。今天最好的窝子是在兰工那个位置,我跟兰工一个窝子,我用的是5.4的杆子钓3.5的水深,兰工用的是6.3的前打谷麦杆,换上立漂以后照样钓呢游刃有余,兰工跟我的窝子里面基本全是罗非,从中午开杆到天黑,感觉跟捅了罗非窝一样,罗非接二连三地起,钓呢一点脾气都没有,主要是长时间钓一种鱼钓疲了。

亮仔用的是蚯蚓,从开始的大黄辣丁开始越钓越小,钓到最后这个手指大的黄辣丁都钓起来了,看着像是黄辣丁的孙子,估计跟亮仔垂钓的手法有关,总是东西各一杆,最后还不打窝子,结果把窝子里面大大小小的鱼钓完以后,也没鱼进窝子,导致他最后没有可钓了。

晚上钓够了罗非的我跟兰工决定把窝子让出来给小勇跟亮仔体验下,而我提前就从钓棚的左边浅水处换去小勇的旁边,开始用拉饵钓浮解锁新鱼种,小钩细线4.5的杆子钓浮,钓水深1米左右,结果下去就有口,而且漂向相当干脆,起了不少的白条跟马口,特别是马口漂向拉得特别凶,基本都是黑漂,多放放口基本可以达到连杆双飞的效果,有点可惜没把路亚杆子带来了,期间还解锁鱼生里面的第一条武昌鱼,但是这个个体基本就是跟苗子差不多。

小勇矶竿滑漂一直没动静,最后换上老三样的搓饵,矶竿才下去就遭遇了截口,提竿刺鱼收线,一个长呢像黄辣丁的怪物被拉了起来,身上到处都有斑点有点像白辣丁,但是看着又不像,反而叫声倒像是黄辣丁,会发出咕咕咕的叫声,这或许就是野钓的魅力吧,总会不经意钓起来一些稀奇古怪的鱼来。

亮仔去到我的钓位换上了7.2的长杆,老三样饵料几杆下去鱼口就来了,上了一尾巴掌大呢武昌鱼,只是从武昌的个体来看着依然是苗子,只是比我刚才钓起来的小苗子大了好几倍,晚上由于刮风,白天也钓了足够多呢鱼,也没兴致在熬下去了,主要是饵料挂钩洗手导致手越来越僵,有种快生冻疮的感觉,索性回屋休息了,到是小勇接了兰工的窝子,也开始连杆罗非,凌晨还遭遇大鱼秒切子线的场景。

第二天天气依然没有天晴还是天阴,看来这次准备了充足的鲢鳙窝料饵料百搭了,没有太阳就不会又鲢鳙开口,来的时候本想着鲢鳙爆护的,结果天气太不争气了,好在罗非的鱼口从我们下杆开始就没有停过,只是钓久了罗非也会乏味,所以时不时开点拉饵抽抽小鱼解解乏,小罗非、白条、马口、小武昌鱼、黄辣丁、江鳅鱼杂七杂八地钓了好多种类的鱼,只是个体稍微小了点都是些苗子而已,钓起玩玩天黑了也就全部放流了。

一直到第三天快收工的时候,大清早鲤鱼也终于光顾窝子了,首先是亮仔开了好头,7.2的杆子大白天一个顿口下去,提竿刺鱼打起来后发现是一条小鲤鱼。接下来就是小勇的矶竿滑漂,对着冒泡的窝子抛竿入水,不到30秒漂向就有了动静,由于矶竿的水比较深钓呢是12米左右,中鱼后发现鱼的力量很大,只是几经博弈拉出水面后才发现其实鱼的个体并非很大也就1斤左右的个体。

小勇鲤鱼开张以后我这面的窝子也开始发窝了,很多时候鱼口来了你忙都忙不赢,这次就亲自体验了一把,这次我也带着618活动买的达瓦5号5.4重矶,放了半年这次是第一次使用,从上的第一条巴掌大的鲤鱼开始,连杆起了6条鲤鱼,可算是过足了瘾,只是鱼的个体稍微小了点点,期间饵料才落到窝子就开始黑漂,提竿就中鱼一直连杆了6尾,差不多快到中午的时候鱼情就散了,虽然我们一直在补着窝子,边打窝边钓还是没能阻止鱼儿的离开,停口以后便在无鱼口。

中午老板送来午餐也预示着这次文山马鹿塘水库的探钓到了该落幕的时候了,计划是吃了中午饭以后收拾装备撤离,小勇也联系好了家人煮好了文山正宗的羊肉火锅款待我们,计划是下午抵达马关,去小勇家吃饭,饭后开始从文山返回昆明,

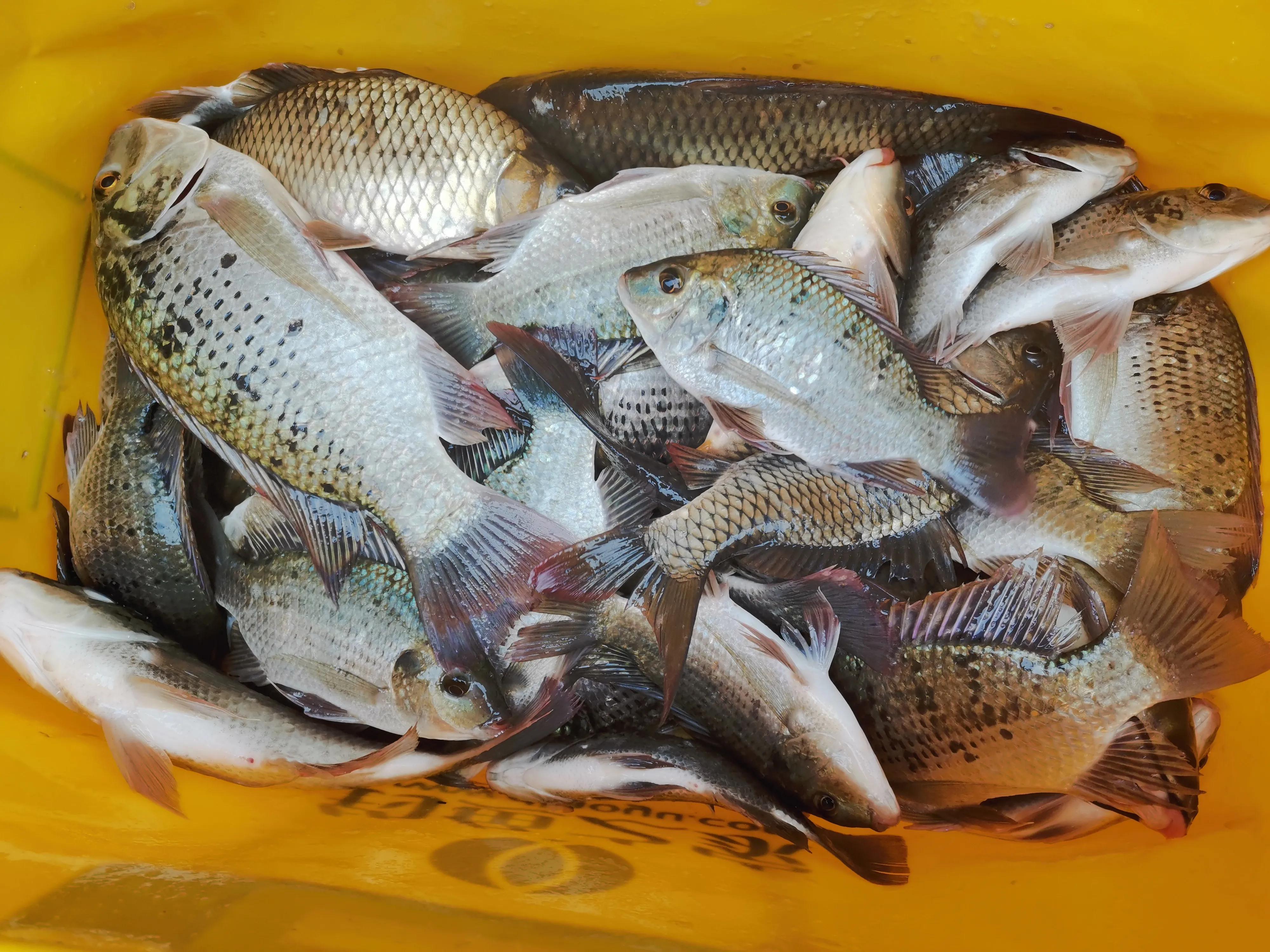
这次的鱼获基本都是罗非鱼,罗非占了总鱼获数量的2/3,其余的都是最后上午的时候钓呢大大小小的鲤鱼,当然期间无聊也钓了数量很多的马口白条小罗非,也就是休闲解乏而已,最后小鲤鱼小罗非放流了不少,最后4人有效鱼获10公斤多点,鱼获也算马马虎虎把,天气不好的情况下没有滑竿没有空军已经很知足了。

这次探钓受到天气影响,但是玩呢足够过瘾,2021年计划有机会再去一次,希望遇到好天气能博博大物,也希望有当地的钓友指导一二争取有个好的体验,文山马鹿塘水库真呢是野钓呢不二之选,水质清澈鱼的密度高种类繁多,2021年5月文山马鹿塘我们再相会。