规划图曝光!
淮安这两个热门地块项目建设有了新进展!
具体位置在...

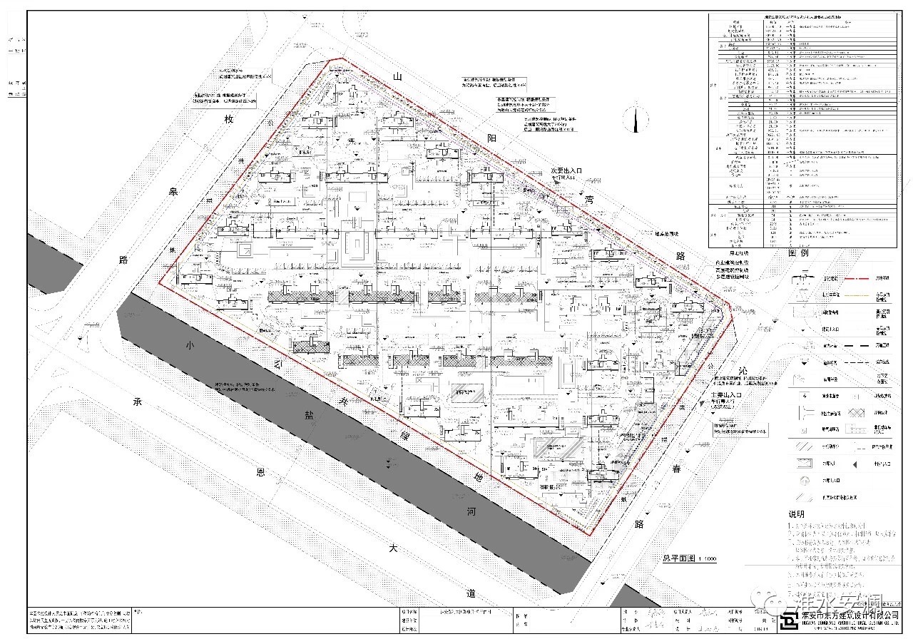
生态文旅区222#地块建设工程设计方案批前公示
生态文旅区222#地块方案位于淮安生态文旅区承恩大道东侧、枚皋路南侧。该项目用地面积115000平方米,总建筑面积为287221平方米,其中地上建筑面积为207000平方米,地下建筑面积80221平方米,容积率1.8,建筑密度18.87%,绿地率35.5%。开关站、配电房、燃气调压站(柜)、生活水泵房及消防等市政配套设施以批准的管线综合方案为准。
现通过市自然资源和规划局网站、规划馆及项目现场对该项目调整方案进行批前公示(详见附图)。公示时间从2019年8月30日至2019年9月8日。相关利益人如对该方案有意见或好的建议,请于2019年9月8日前以书面形式反映至淮安市自然资源和规划局生态文旅区分局,或者向局法规处提出听证申请。
联系人:王欢卢峰联系电话:0517-89223287
联系地址:淮安市福地路1号规划馆403室邮编:223300
听证申请:淮安市自然资源和规划局法规处联系人:缪源
联系电话:0517-83660313
淮安市自然资源和规划局网站:http://zrzy.jiangsu.gov.cn/ha/
淮安市自然资源和规划局
2019年8月30日

永和家园北侧地块初步设计及施工图设计项目招标公告
永和家园北侧地块项目已经清发改复[2019]33号批准建设。工程所需资金来源是自筹,现已落实。现对该项目初步设计及施工图设计进行公开招标,邀请合格的潜在投标人参加本项目的投标。
(1)项目名称:永和家园北侧地块项目。
(2)标段名称:永和家园北侧地块初步设计及施工图设计项目。
(3)项目地点:西安路与中经路交汇处西南角。
建设规模:永和家园北侧地块项目,项目用地面积35182.35平方米,项目总建筑面积95966.98平方米(含地下建筑面积)。
此前
清江浦区人民政府发布

关于永和家园北侧地块项目核准的批复
垣宝房地产有限公司:
你单位《关于永和家园北侧地块项目核准的请示》及随文报送的《永和家园北侧地块项目申请报告》等相关附件材料收悉。按照《产业结构调整指导目录(2013年修订本)》(国家发改委〔2011〕第9号令公布、〔2013〕第21号令修正)《企业投资项目核准和备案管理办法》(国家发改委2017年令第2号)《省政府关于发布江苏省政府核准的投资项目目录(2017年本)的通知》(苏政发〔2017〕71号)等文件规定,经研究,批复如下:
一、为适应城市建设和经济社会发展需要,满足居民住房需求,同意建设永和家园北侧地块项目。
二、项目名称:永和家园北侧地块项目
三、项目代码:2019-320811-70-03-507487
四、建设地点:项目位于淮安市清江浦区中经路南侧、西安路西侧


(图片仅供参考)
五、建设内容:项目总用地面积35181.4平方米,总建筑面积95966.98平方米,其中地上计容建筑面积75675.7平方米,主要包括住宅71536.94平方米,商业2493.88平方米,配套用房1644.88平方米;地下建筑面积20291.28平方米,主要包括地下非机动车库4238.44平方米,地下机动车库16052.84平方米。项目容积率2.15,建筑密度20%,绿地率35%,住宅总户数651户,机动车停车位742辆,非机动车停车位1517辆。项目主要建设高层住宅建筑6栋(其中11F的2栋,16F的1栋,18F的2栋,27F的1栋)以及沿街商业、配套用房和道路、绿化等附属工程。
六、总 投 资:项目估算总投资65000万元,资金来源由项目单位自筹解决。
七、项目招标:请根据国家和省有关法律法规开展招标工作。
八、核准项目的相关文件分别是:淮安市清江浦区建设项目用地预审意见表(淮国土资清江浦规预审〔2019〕第4号)、淮安市自然资源和规划局规划条件(项目编号:淮自然资条〔2019〕13005号)及红线图等。
九、如需对本项目核准文件所规定的有关内容进行调整,请及时以书面形式向我委报告,并按照有关规定办理。
十、本批复仅作为项目建设单位开展工作的依据,不得作为征收及*迁拆**的依据。接文后,请你单位依法办理规划、国土、环保、建设、地震、气象、消防、民防、节能、节水等相关手续,在满足《国务院办公厅关于加强和规范新开工项目管理的通知》(国办发〔2007〕64号)所列新开工条件后方可开工建设,并按照有关规定落实建筑现代化和绿色建筑等相关要求。
2019年7月3日