乐居新媒体 贵阳7月28日,贵阳市自然资源和规划局发布关于贵州天瀑实业(集团)有限公司)SL(22)007008地块地产项目批前公示。

据悉,贵州天瀑实业(集团)有限公司)SL(22)007/008地块地产开发项目申报单位为贵州天瀑实业(集团)有限公司,申报类别为建设工程规划许可证审查。
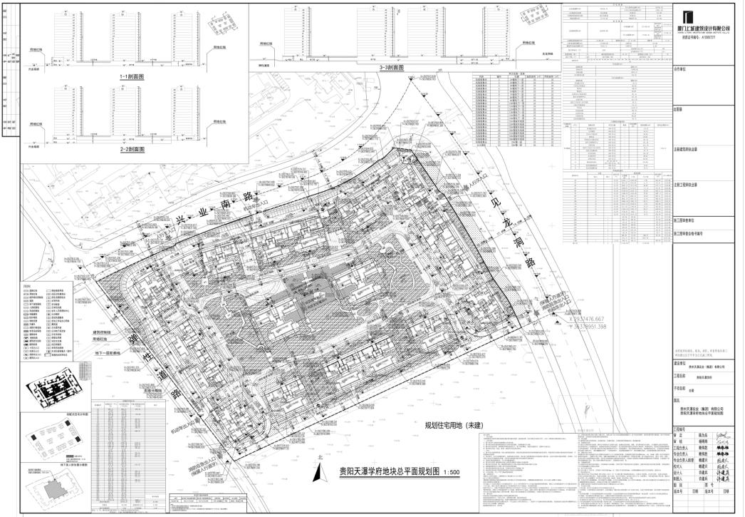
该项目官方释放出的案名为天瀑学府,位于贵州双龙航空港经济区、东临见龙洞路、北至兴业南路。规划总用地面积62838.7平方米,规划建设用地面积50786.2平方米,其中建设用地面积50786.2平方米。
设计总建筑面积204893.09平方米,其中计容建筑面积157436.63平方米,共25栋楼,最高建筑高度为54.4米,最高建筑层数为18层,建筑密度24%,容积率3.1。规划设计户数为1502户,停车位1601个,其中室外停车位150个,室内停车位1451个。

公建配套方面规划有多功能共享室、老年日间照料中心、农贸市场、社区卫生服务站、文化活动站、综合快递服务站等。

根据官方介绍信息显示,作为天瀑集团首入贵阳的开山之作,天瀑学府以20万方中式国风大院、颠覆时代的*四代第**住宅17层类洋房、墅级体验户户大露台、超万方江南水景庭院、智慧社区等重磅产品力配套加持,匠造壕宅级产品基底。
天瀑学府项目区位优质。在交通方面有龙洞路、机场路、兴业南路等道路连接东二环、龙洞堡大道等,便利通往主城区。同时距离地铁2号线小碧站、龙洞堡机场距离较近。
在商业、医疗资源方面,项目周边有砂之船奥特莱斯、贵阳市第一人民医院、贵州华夏骨科医院、多彩贵州城商业等。同时可享受多彩贵州城、东方科幻谷、多彩贵州风景眼文创园、双龙中央生态公园等景色。
此外,目前区域内正在建设见龙中学及小学,其中见龙中学项目规划设置30个班,每班50人,共计1500人;见龙小学项目规划设置36个班,每班45人,共计1620人。目前各项建设在有序推进中。
据查询,贵州天瀑实业(集团)有限公司2022-12-14成立于贵州双龙航空港经济区,法定代表人为杨光胜,注册资本为3000万元人民币,所属行业为房地产业,经营范围包含房地产开发经营、物业管理等。其大股东为杨宁飞(持股比例60%),杨光胜(持股比例40%)系贵州天瀑房地产开发有限公司法人。
天瀑集团具有“闽系”背景,连续4年荣获地方税收“十强企业”荣誉称号,累计开发面积超200万方,累计销售额超100亿,目前打造有天瀑城、天瀑城壹号、天瀑学府(安顺)、滨江壹号等项目。

从项目规划、区位、房企等方面来看,贵阳天瀑学府应该会是一个小众房企开发的小而美的项目,细节方面或许会让人耳目一新。
但目前项目周边云集了多彩贵州城、首开紫郡、保利明玥半山、贵阳花语墅等诸多国央企项目,部分项目价格低至7000元/㎡起。这无形中增加了竞争难度,贵阳天瀑学府能否突出重围乐居新媒体将持续关注。