忙了好几天,画画,到处找景色,画画时候不想别的,专注,诚恳。钓鱼时候,目中无人,说走就走。
晚上六点,到了水库,云彩凝满,水面平缓,特意等到六七点开始夜钓,为了避开小鱼。
白天着实不好钓,闹小鱼太厉害,夜钓我不信这个邪。
摆摊,打窝儿,还是四小勺酒米。
因为出来画画,没想到出来夜钓,顶多雨天画不了白天随心垂钓,所以没带夜钓灯,但是有夜光漂。
准备好一切,夜光漂调钓,因为水库不走水,调两目发光目钓两目发光目,不灵不钝。
等待发窝儿,没想到,十分钟开始上鱼,开竿鱼一两多不到二两,十五分钟,上了四条,不算小。
今晚有戏。
水库鱼,吃口清晰,下顿一目半或者黑漂,好漂亮漂相。
鱼儿进窝了。
突然,大黑漂,提竿,好沉,*慰自**,挂底,没成想,是大鱼啊!不知道什么鱼。快拖出水面了,切线。
不着急,1.2主线,0.6子线,切线合情合理。换钩继续垂钓。
顿一目,中鱼,爽!出水,两三两,这么大劲儿?下抄网,保护子线。水库鱼果然有劲儿,出息了。
黑漂,拉不动,肉肉的手感,心里凉了,切线,换钩。
陆陆续续上鲫鱼。
天黑了,和风,19度,水冷,鱼口不错。
下顿两目,提竿,鱼不小,能拉得动的,证明是鲫鱼,出水,大鲫鱼!惊喜,欢喜,稳稳下抄网,起码八九两。入护,开心。
还是陆续小鲫鱼,顿口清晰,大一点的偶尔阴两目。拉得动就拉。有些飞得起来,有些下抄网。
又是突然,大黑漂,很沉,我要对抗一下,溜了一分钟,出水,大鲤鱼!大鲤鱼!七八斤?六七斤?心跳加速,没经验,头灯一照,起码40公分长,好漂亮,快到岸边,切线。
深思,跟太太聊天,她说继续努力,别着急,稳着点,平常心对待。嗯。
决定过两天找渔具店,换线组,夜钓惊喜太多,还有两三天4.5米手竿就要到货了,过两天夜钓下两竿,守大鱼,3.6手竿抽鲫鱼。
有人家放烟花,不知何节日。
继续垂钓,跑了大鲤鱼后,鱼口不那么好,陆陆续续上了三四个小鲫鱼。
从六点半下竿到十点收竿,一晚上都在惊喜,跑鱼切线七八次,没有气馁,心情平和,在娱没在鱼,在乎不?肯定在乎,这也是乐趣所在,试试钓大鱼没有错吧,尽管我只是四个月新手。
钓鱼有学问,钓鱼有意思。
画画,库钓,随心涂抹,随心趴窝儿,生活平静但不平凡。
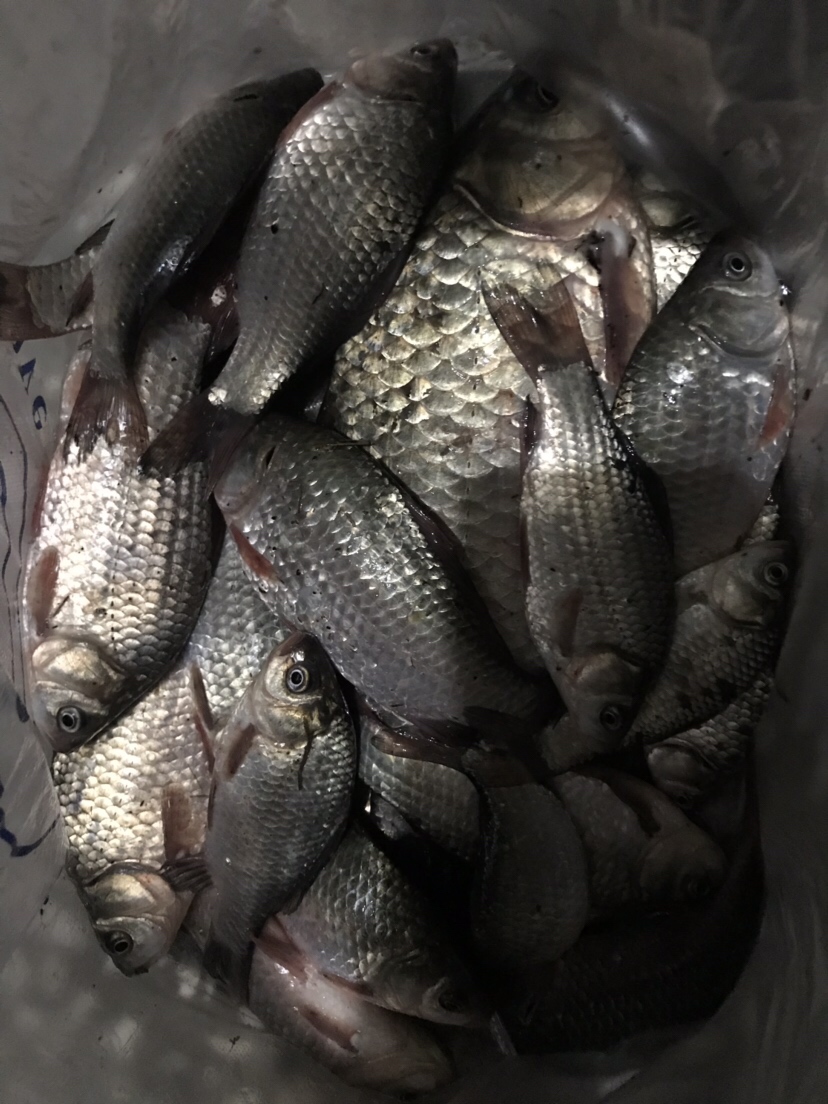
今天鱼获?四五斤该有了,提护有点手感。
不多说,以后再分享,众生,晚安。

空气很好,景致舒心,就我一个人承包大水库,快哉。

大窝儿,四小勺,不多不少

开竿鱼,一两多?

不少小鲤鱼,每次都能上

天色渐暗,云霞远去。

这么大,是今晚的大多数。

拉饵,夜光漂

大大小小鲤鱼,顿口就打

大鲫鱼吃钩

何故烟花闹夜漂?定是人家喜来欢。

今晚切线多次,我已习惯。等过两天,换线组,换长竿,钓大鱼。

小半护鱼获

拍个照

有八九两不?很厚,一只手抓起来费劲。

今天到此为止。
明天雨天,琢磨怎么垂钓,思考,琢磨,下点功夫。
后天大晴天,随心涂抹,画画,两件事,专注起来,目中无人,承包天地,不过皆为自娱自乐。