狗狗一般在5岁以后就会逐渐进入老年期。它们的活动量会逐渐降低,身体机能也会逐渐退化,尤其是骨关节代谢机能的退化尤为严重。
如走路一瘸一拐,跳上跳下时容易绊倒,有些犬只会长期爬着不爱动,这些都可能是狗狗的骨关节疾病出现的一些早期症状。

其中髋关节发育不良在近几年的中大型犬身上出现的频率逐年递增,所以,我们要正确认知这种骨关节疾病,做到早预防、早发现,尽量减少疾病给狗狗带来的痛苦。
今天,喵医来聊聊狗狗的骨关节疾病中的髋关节发育不良(CHD)。
「 O1 」
狗狗髋关节发育不良有哪些症状?
1、狗狗在行走时出现一瘸一拐的现象,有时后肢会有一只脚时不时的不着地,蹦着走。(有的主人往往会误认为是狗狗的腿抽筋了)
2、从休息中恢复到运动时,显得犹豫不决起身较慢,行动迟缓。
3、原来蹦到主人床上是一件很轻松的事情,忽然在一段时间里发现狗狗好像上床很费劲。

4、爬楼梯的姿势可能显得很吃力,有时候会避免用某条后肢。
5、有些髋关节发育不良的狗狗后腿有时呈X形,这些狗狗大腿瘦弱缺少肌肉,从后方观察时肘关节都快碰一起去了,整个程X形。
「 O2 」
正确认知髋关节发育不良这种关节疾病
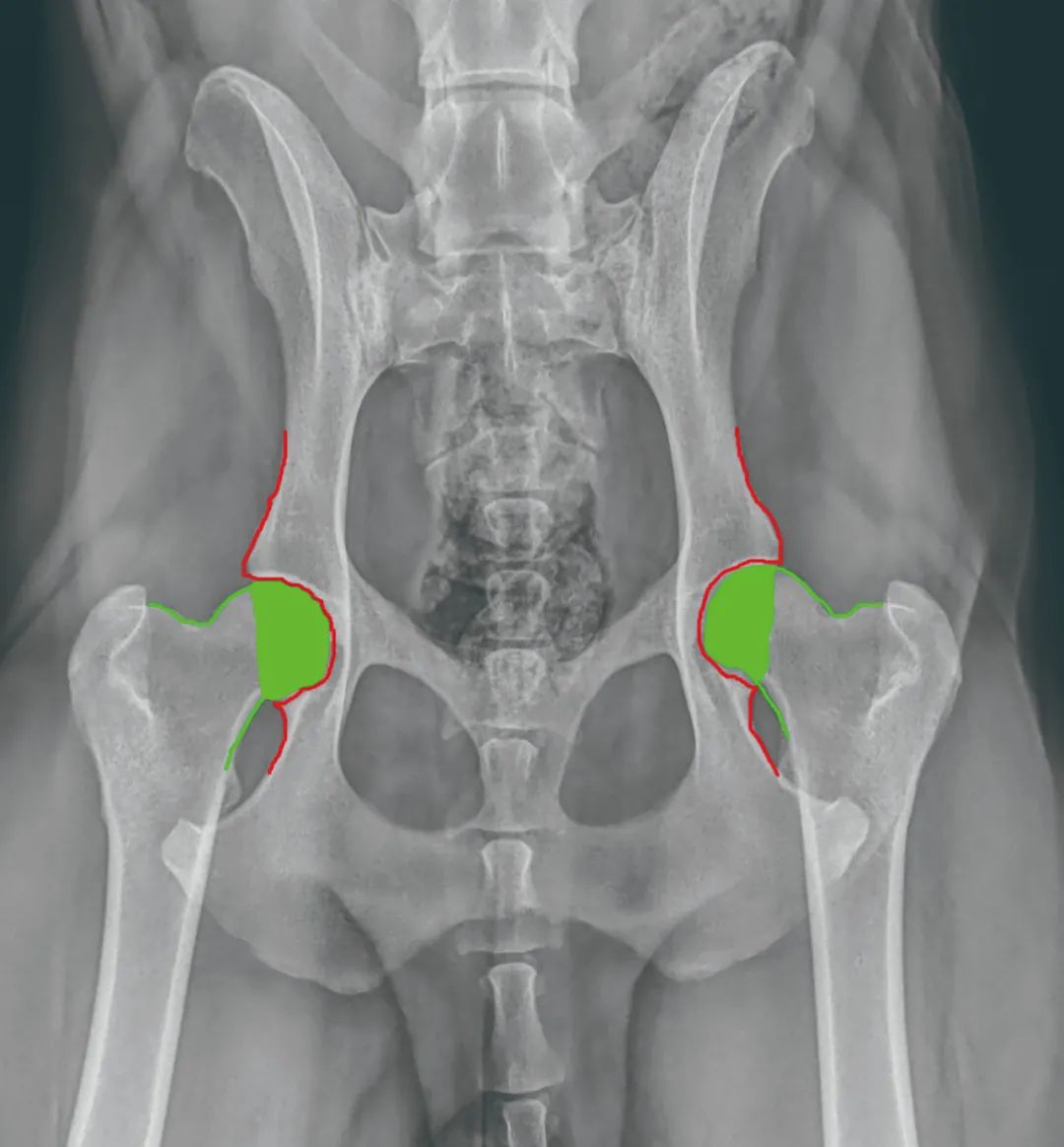
犬髋关节发育不良,简称CHD,是一种有基因参与的关节疾病。病灶在狗的髋关节,髋关节是狗狗后腿和盆骨的连接处。

狗的髋关节由两个部分组成,髋臼(acetabulum)和股骨头(femoralhead)。大腿骨顶部的股骨头嵌入髋臼,两个部位之间存在结实的韧带和软骨层保证紧密结合,让关节承受很大重量的同时又能灵活运动。如果这些结构出问题,股骨头和髋臼无法正常互动,CHD就此出现。

当髋臼和股骨头之间的韧带、软骨组织这二者出现问题,髋关节的紧密嵌合不复存在,犬只在行动时会产生磨损。时间越久,髋关节会出现结构上的改变,这时候CHD造就的骨关节炎可能出现,炎症与疼痛开始困扰狗狗,使得狗狗在很多行动上出现不正常的举止。
韧带组织:在股骨头正中、周边,都存在有强壮的韧带组织,将股骨头牢牢牵在髋臼里。患有CHD的狗,这部分韧带出现松弛,使得股骨头和髋臼之间出现松动与滑脱。

软骨组织:在关节之间又有一层厚厚的软骨。也叫关节软骨,正是这种滑滑的结构,保证着关节之间能平顺活动。在患有CHD的狗狗身上,这层软骨出现了破损、侵蚀,关节运作不再是软骨对软骨,而是骨头蹭骨头硬碰硬。久而久之髋关节会变形、扭曲。
「 O3」
早预防、早发现、早检查、早治疗
髋关节发育不良(CHD)这种疾病一般会出现在中大型犬只身上,如金毛、哈士奇、德国牧羊犬、阿拉斯加犬等。在犬只4-5岁时会有明显症状出现,而后逐年增强。

1、 CHD会遗传,如果犬只的父母患有此类疾病,幼犬也会有CHD基因携带的可能。
但是在幼年期不会显现出来(只有特别严重的情况会在10个月左右出现不明显症状)。
因此在购买幼犬时尽量选择专业犬舍出具的血统证书,国际专业机构有明确的规定患有CHD的犬只是不允许进行繁育。

2、在日常生活中, 需要主人细心观察狗狗的一些行动细节,如长时间运动后,休息后的行动能力。如果出现一些行为异常的现象请及时前往医院进行诊治。
当狗狗患上了CHD后它们的半脱臼导致股骨头和髋臼产生不自然的摩擦、碰撞,时间越久骨骼通过摩擦就会出现骨质增生,严重的出现骨刺,换上骨关节炎,当你看到狗狗行动出现问题时,往往是因为疼痛引起的行为异常。

3、医生常规的诊断是通过X光进行确诊,但有时在早期时通过X光检查,不会出现严重的关节磨损现象。这时可以根据医生的建议 进行一些骨关节保健品的补充使用 ,建议一定在医生的建议下用药、用保健品。
4、 减少狗狗的运动量: 确诊后的狗狗尽量要减少剧烈运动,每次运动时长也要缩短。
5、 尽量避免狗狗直接躺在地板上或瓷砖上休息 ,关节疾病尤其害怕受凉,在夏季可以给它们准备一些隔凉垫,在冬季可以准备棉垫。

6、 减少攀爬、上楼梯等行为 ,当你发现狗狗会犹豫甚至拒绝爬楼梯,哪怕以前根本没这些毛病时,这时你要选择将它抱起。
犬只髋关节发育不良目前已经不是一种疑难杂症,但这种疾病往往发现时已经不是在早期了,当你看到狗狗出现行为障碍的时候,它们应该已经被疾病困扰了很久了,早发现、早检查做一名细心的主人很重要,如果患上了CHD就要在日常的生活中更加注重骨骼的保护,按时复查,确保髋关节正常的生长发育。
我是你们的喵医治未病,
记得未病先防,既病早治!