“轨交”动态一响,板块纷纷“沾福利”。毕竟,拥有一条轨交,就等于拥有了生机。这不,最近久久未出现的通武廊,被爆出新动态,大家都开始关注上了。
在8月份的时候,《天津市综合交通运输“十四五”规划》公布,明确提出:推进“津城”至武清、廊坊、通州(津武线)市域(郊)铁路适时启动建设。

这个消息一出,证明,大家的盼头有望了。其实,从本质上看,建设通武廊事情是板上钉钉的事情,毕竟通武廊是京津冀协同发展下的产物,是大势所趋的必行之路。
人们常说,武清是靠“沾北京”福利发家的。毕竟武清与北京之间就有1.8万人通勤,这样的人流量是不可忽视的。
事实证明,不要小看停靠的这一分钟,就仅仅的一分钟,就“复活”了一座城。也证明了,拥有一条轨交是多么的重要。
但目前针对武清区来说,仅这一条京津城际已经出现了饱和状态,需要新开辟一条新的线路来巩固与北京的“关系”。这时,通武廊“诞生”了。该线路已成功纳入国家《京津冀协同发展交通一体化规划(2019—2035年)》和《天津市市域(郊)铁路专项规划(2019—2035年)》。并与央企签署正式合作协议,已经从战略构想进入实质执行阶段。
从此规划同时也可以看出,北京向南倾斜已经很明显了。因为在7月29日的时候发布了《推动城市南部地区高质量发展行动计划(2021-2025年)》,证明,北京要开始大力发展南部地区了。

这对于天津武清区来说,是好事。
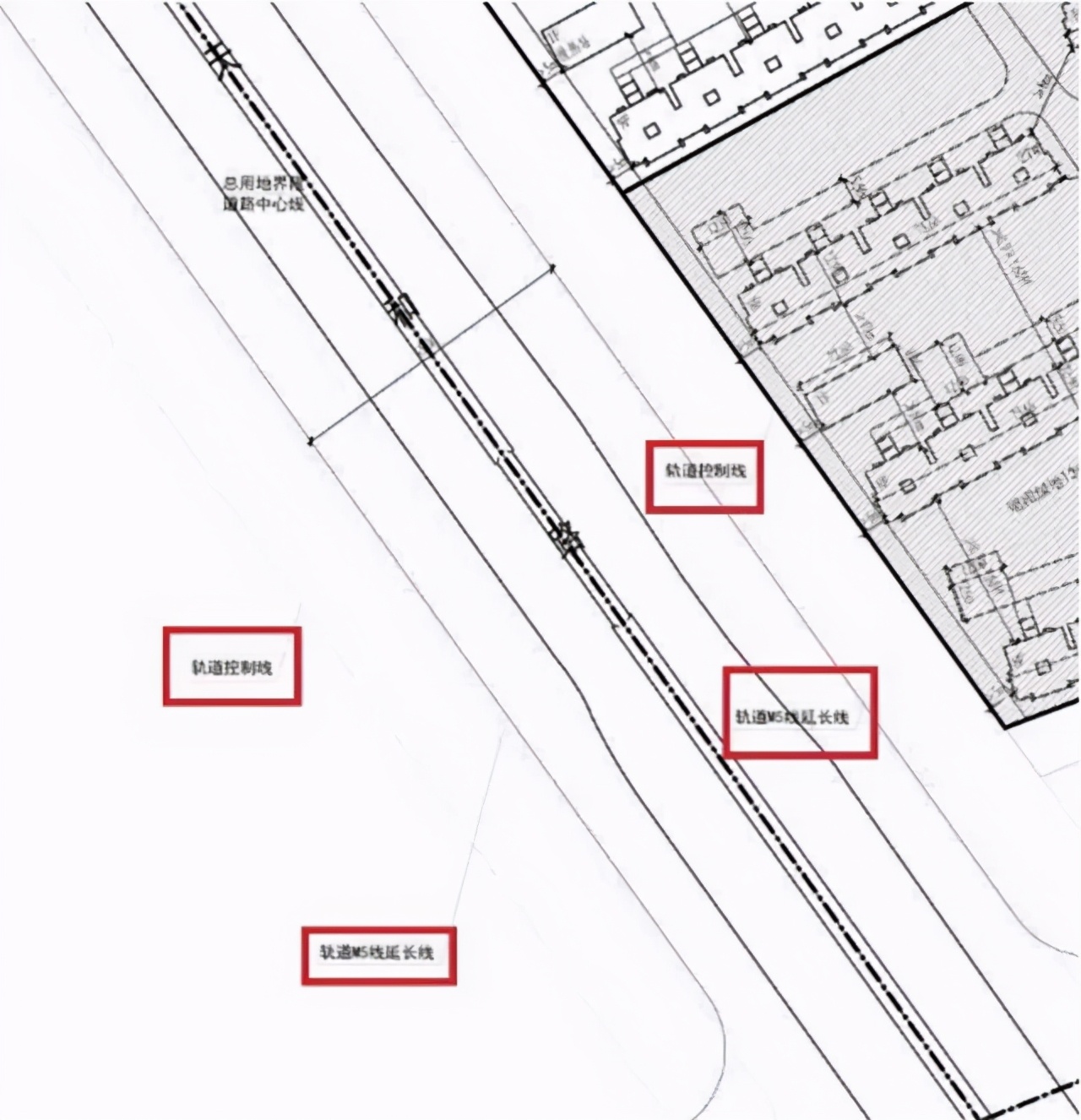
一旦通武廊开通,各大区域板块都想要沾沾福利,毕竟是一条“黄金轨交”,是很多板块所向往的“黄金线”。之前,该条线路是起于地铁5号线北辰科技园站,会串联武清区,经廊坊市开发区进入北京市,在采育站接入正在规划建设的机场城际联络线。

但近日传出,通武廊市郊铁路局部方案要调整。
将原始由北辰科技园改为北辰站,并且更改方案已经通过了医药谷的规划图进行了实锤。

百房资讯小编只想说,这北辰区想要通过任何条件增加站点来提升区域实力。不过,只要有一个站点是板上钉钉的,那么前途就不可限量。这不,南湖板块也想要这波“福利”。
在2019年出让的津武(挂)2019-011地块一期项目总平面图中,就曝光了南湖板块已占据“通武廊”轻轨站点的位置。这一下就让南湖板块拥有了“质”的飞升。

从哪里看出来的?当时是用数据看出来的。
在2016年的时候,南湖板块还排在武清第5的位置,到了2019年却逆袭成为第一,成交套数高达3781套,特别到了2020年,更是创下了4695套的纪录。
一个通武廊站点,换来了南湖板块楼市的“崛起时代”。

而目前的武清区楼市局面有两大分化,新城与老城、城区与非城区的划分。而南湖属于城区,与武清商务区、黄庄,并称为武清“三巨头”。

最大的“利器”就是——价格便宜。
不要小看这个“利器”,就单单这一点,就已经是刚需或是新天津人最大的“诱惑”了。
毕竟通武廊的敲定,让南湖板块的客群“壁垒”随之打开。让很多刚需人群、北漂人群“盯上”了南湖板块。
很多人疑惑,就一个通武廊就能让人们看上南湖板块?
小编只想说,不要小看南湖板块,它的“魅力”不止如此,除了拥有“双向通勤”的能力外,还拥有“学”和“商”。这些都是购房者最先考虑的问题。

据百房资讯小编了解,南湖板块中,目前有南湖小学、南湖中学,北侧还有天和城实验中学,而且高中也在规划之中。而商业方面也有所提升,拥有嘉宁广场、花郡商业街、邻里汇商业街……可满足居民各种生活需求。
还有一点就是南湖板块占据了一个天然优势——南湖风景区。这个景点是国家4*级A**风景区,总面积约380公顷。这样的生态板块还是很被人们所喜爱的。
拥有以上优势的南湖板块,被众多知名房企所看上,纷纷开启入驻模式,目前板块内已经聚集了众多房企,如天地源、恒大、碧桂园、保利等房企,一旦开发商“群集”于此,楼市必定开启“竞争模式”,新的城市界面还会远吗?