
导读:创伤性膈疝一直是门诊中时有发生的疾病。往往是因为主人看护不当,交通事故,被撞伤等外力冲击导致狗狗的膈肌破裂。症状与呼吸道疾病极为相似,应当懂得如何分辨。
一例真实生活案例分享:
朋友小陈他家泰迪过来诊所时,已经是晚上8点。
泰迪犬,雌性,2岁5个月,体重6kg。小陈向我们陈诉泰迪犬这几天状态不太好,经常出现呼吸困难的样子,爱吃的食物也不吃了,吃一点点还吐起来。一个月之前没看护好不小心被车撞了一下,事故后并没出现异常。
后续体格检查,体温38°C,呼吸55次/min,仔细观察腿部并未发现异常,但呼吸明显急促,需进一步影像学检查才知道结果。X光片结果显示肺部显影明显异常,结合上述情况后,确诊为创伤性膈疝,应立即开始膈疝修复手术。

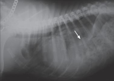
右侧腹部X光片
创伤性膈疝是什么?
膈疝又称为胸腹膜疝。它分为两种类型,一种是先天性膈疝,另外一种是外界创伤导致的膈疝。一般病犬很少会被诊断出先天性膈疝,因为临床上患有先天性膈疝的病犬都会在出生不久或者出生时便离世。由此可得,大多数膈疝都是外伤引起,尤其是机动车事故、高空坠楼等。
胸腹膜是胸腔和腹腔之间的肌肉分隔,起到屏障的作用,有助于呼吸。
外伤造成的膈疝称之创伤性膈疝,当强力对腹壁造成强烈的冲击后,腹腔内压力的突然增加,令肺部迅速收缩,从而产生较大的的胸腹膜压力梯度。换而言之,在胸腔和腹部之间出现的压力梯度会导致隔膜破裂。而它经常会发生在最脆弱的部位,如肌肉部位。而撕裂的大小,通常取决于病犬受到外力攻击时的体位。

右侧胸片
创伤性膈疝的临床症状是什么?
临床病征取决于疝的严重程度。
创伤性膈疝可分为急性和慢性。严重急性通常会出现呼吸窘迫,异常的心律,心肺音减弱和其他全身性休克迹象。触诊时腹部可能会听到肠音。呕吐,腹泻和腹胀等反应可能是由于肠或胃受损引起的。
只因肝和胃是最常见的疝变器官,进入胸腔内的胃舒张剧烈压迫胸腔内膜,使呼吸困难。通过隔膜疝气移位的腹部器官可能会损害其血液供应。
慢性创伤性膈疝发病的时间可能从数小时到数年不等。受伤几周后才被诊断出创伤性膈疝的占15%~25%。造成疝气的外伤还可能导致肋骨骨折,肺裂伤和肺挫伤。
随着时间一长,腹部器官(例如肝脏或肠道)可能会粘附在胸腔中,病犬可能会出现与肝脏或胃肠道疾病(如,厌食,呕吐,腹泻,体重减轻,食后疼痛)相关的体征或非特异性的症状(如抑郁)。
神奇的是,在诊断时,许多患有慢性创伤性膈疝的病犬并没有呼吸困难。

什么原因引起创伤性膈疝
创伤性膈疝最常见原因是钝性外伤。
如上文所述,从高处坠落(如从窗户外),汽车事故或腹部受到冲击后,可能会发生此类创伤。先天创伤性膈疝在比例上说较少见。
这种冲击的压力会导致隔膜破裂,从而使内部器官突出穿过裂口。

如何诊断创伤性膈疝
正常来说,主人需要向兽医陈述病犬近段时间所发生的事情和病史。
膈疝是病犬临床中比较常见的疾病,多数是病犬发生车祸引起的轻度膈疝。偏偏因为一开始的症状并不明显,腹腔的组织经过膈膜损处进入胸腔,又可以因运动或者体位更换原因再次回到腹腔,来来回回的前提下,症状也是断断续续。当内脏不能正常回到原位后,才出现明显的呼吸困难,所以这发生的时间可持续几个小时甚至几年。
即使症状不明显,兽医也会考虑是否有膈肌破裂的可能性。
如上文案例提及,主人提及病犬在一个月前被车撞过,后续并没有发现异常。但在这几天却突然出现呼吸困难,因此可猜测病犬患有患有慢性创伤性膈疝。
通过体格检查后,依序进行影像学检查,分别是X射线检查、钡餐造影。
X光可显示肺部显影是否异常,肺部区域有没有被压迫的情况。
钡餐造影会先服用硫酸钡进行X光拍摄,去检查口服钡餐后是否都聚集在肺部。
当病犬存在休克现象,可考虑是否为它进行血液和尿液检查。

创伤性膈疝可以自己自愈吗?
我们需要明确一点的是,创伤性膈疝是不可能会自愈的。
如果病犬近期有外伤史,则必须先将它稳定下来。重要的是,在手术前要稳定呼吸和心律。兽医会考虑使用药物来帮助稳定心律。
而修复创伤性膈疝的唯一方法是手术。
一旦病犬稳定下来,就必须通过手术矫正膈疝。手术的目的在于修复受损的器官以及隔膜破裂。
如病犬有呼吸困难的症状,应通过面罩,鼻腔注气或氧气笼提供氧气。将病犬置于胸骨上,前肢抬高,这样会有助于通气。如果存在中度或重度胸腔积液,则应行胸腔穿刺术。如果病犬休克,应给予液体疗法和抗生素。
一旦病犬全身麻醉稳定后,应立即进行手术治疗。一些患有严重呼吸窘迫的病犬需要取出腹部内脏后才能舒适地呼吸。通常是通过沿腹中线进入腹腔,将腹腔器官缩回至腹部,并缝合膈膜的撕裂。可以放置一根管以去除可能积聚在胸腔中的空气,血液或液体。

潜在并发症如何?
手术后,可能会发生再扩张性肺水肿的情况。肺与腹中突出物之间有可能形成粘连。
手术后需要住院。大多数病犬在手术后会开始感觉好些,疼痛感消失后它们会开始活跃的奔跑。但术后应鼓励其休息并避免活动。
特别需要提醒的是,兽医会建议狗狗使用心电图仪监测心律,防止出现心律不齐。
一部分病犬在手术后还会发生体温过高或体温升高的迹象。
令人高兴的是, 大多数病犬都会在手术上取得成功并恢复良好。

预防最好的办法只有一个
预防最好的办法只有一个,最好让狗狗远离可能发生车祸的潜在危险区域,如街道。又或者家里的窗户必须装好防盗窗,防止狗狗跳下。
越早治疗恢复的情况越好。当遇到呼吸道和消化道反复出现问题的狗狗,主人必须留意其症状,兽医一定要追问病史,及早进行X射线和钡餐造影检查,防止误诊,错过最佳治疗机会。
(本文图片来源网络)