转自:地下水环境网
原标题:学会看地下水的种类,从此打井找水不用愁!
如果你想成为专业的打井人员,那么能辨别区分地下水的类型,是必不可少的技能。
首先,根据含水层的空隙性质,地下水可分为三类:

孔隙水、裂隙水、岩溶水
孔隙水

一种赋存于松散沉积物颗粒中的地下水,总体特征:
(1)普遍发育在第四系松散沉积物、砂砾构造中的含水层,粘性土构成弱透水层(隔水层),这类水一般为孔隙水,是主要的供水水源。
(2)孔隙水呈层状分布,空间上连续均匀,含水系统内部水力联系好,孔隙水打井取水成功率高,因为相对含水面积大,打井位置好确定。

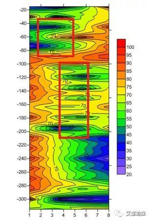
承压水在等值线图上,一般呈层状的低阻反应。即使测点数目较多,测线较长,低阻区也会呈层状贯穿整条测线,或者占据测线的大部分区域。承压水一般打井位置的选择比较好确定,关键是要打到承压含水层深度。

类似上图,该地区除了具有承压水特征,同时在90号点区域还存在柱状的低阻异常区,低阻异常区两边岩层部分起到隔水作用,而一些偏低阻区域很可能存在旁系小裂隙或者孔隙水,很可能这条柱状低阻区是条破碎带,容易形成两边的含水层和下层承压水的导水通道,打这种区域很可能不用打到承压水深度就能打出水。
裂隙水

低阻破碎带、裂隙水,埋藏在基岩裂隙中的地下水叫裂隙水,这种水运动复杂,水量变化较大,这与裂隙发育及成因有密切关系。

岩石破碎、裂隙发育强烈的层状含水层,在等值线图上往往反应是小深度范围内高低阻的岩层呈犬牙状交替出现。且等值线图上线条较为致密,说明附近岩层电阻率变化大,选择破碎发育强烈的低阻区打井往往容易出水。

海南某地花岗岩破碎带裂隙水实例:
这是海南某地花岗岩破碎带裂隙水的实例,30多米出水量一般,150-170米出水量加大。

80-100米出水丰富。

该地区等值线图上反应,低阻异常区厚度大概在几十到100米左右的厚度,且等值线图上高阻低阻岩层交错出现概率频繁,图上反应该地区破碎构造发育强烈,容易形成裂隙水,一般裂隙较发育的低阻区往往容易出大水。上图在120-140米出水量丰富。
岩溶水

赋存和运移于可溶岩的溶隙溶洞(洞穴、管道、暗河)中的地下水叫岩溶水。我国岩溶的分布比较广,特别在南方地区。

富含岩溶水的地层,往往水量丰富,造成局部含水地层电阻率较周围的岩层电阻率要低很多,等值线图上会显示低阻蓝紫色区域。所以在岩溶发育强烈的地区找水主要以寻找蓝紫色区域为主。此图为广西桂林地区找到的岩溶水,打井160米,成井水量每小时50方。

当然,除了井址要选好之外,优质的打井设备也是不能少的,要不然认认真真一顿操作之后,不是掉钻头就是掉链子的,那岂不是耽误时间又浪费了辛苦寻得的好地方。
湖南永州的李先生就曾经遇到过这种情况,和伙伴们寻摸了一上午找到了一个好地方开孔打井,前期挺顺利,但一个小时之后出现情况了,随着一声异响之后便无法再继续工作,李先生提起钻杆检查一番以后发现,钻头已经没有了,且因为此次工程没有跟管,掉进井里的钻头拿不出来,这口井基本可以说是作废了,于是求助了米数多,碰巧米数就近安排了附近的工作人员前往现场了解情况,发现断掉的钻头除了质量有问题之外,和现场使用的冲击器也并不是十分匹配,于是推荐了米数多的219-HD65A钻头,李先生抱着试试看的心态,订购了一个219-HD65A钻头,

米数多219-HD65A钻头
物流显示产品已被签收后,我司销售人员对初次使用米数多钻头的李先生进行了回访,李先生的反映说米数多物流非常快,为他们节省了不少时间成本,再加上购入价格不到某大牌的三分之二,连续使用下来钻头也没有出现掉齿和断裤的情况,可以说性价比非常的高了:“非常庆幸自己当时选择了米数多的钻头,否则今天我可能还在停工等货,以后的首选一定是米数多”。
