在这一期的社群主题周讨论中,猫研所社员们就猫癣问题进行了探讨,提出问题的同时也对力所能及的问题做出了解答↓↓↓
优质提问区
Q1社员076:猫癣有可能复发吗?
A:严格来说,遇到的大部分“复发”情况,其实是单次治疗的不彻底。就是说很可能还没治好,就停药了。例如“好了一块,又长了一块”、“喷药好了1-3天,又开始长了”…
上面这些情况,都有可能是因为毛囊中的感染没被彻底清除,导致了进一步的扩散或者复发。毕竟真菌一大特点就是顽固(联想下“脚气”)!最常引发猫癣的犬小孢子菌甚至可以在干燥环境存活长达一年以上。
因此,更建议的治疗方案是:外部治疗+全身性治疗!
除此之外,也有一些情况是环境中或主子身上携带有真菌,遇到抵抗力弱,就复发了。这种情况,就要环境彻底消毒(见Q4),并且给主子补好身体啦。
Q2社员075:造成猫癣的主要原因有哪些?
A:总的一句话概括就是“抵抗力差”,主要包括:
1. 年纪小,身体的保护机制还没建立完全;
2. 缺乏营养(维生素),饮食问题等造成的;
3. 其他疾病缠身、长期服用药物抑制免疫或影响了其他消化器官吸收营养;
4. 环境问题,例如家里“脏乱差”,或者去过寄宿、宠物店洗澡等;
5. 应激,搬家、去新的环境、多猫家庭或者家里其他生物导致长期的压力,会因为情绪波动导致身体状况不佳等。
所以,最主要的预防手段就是:吃好+玩好+环境好+精神好!

图自社员075
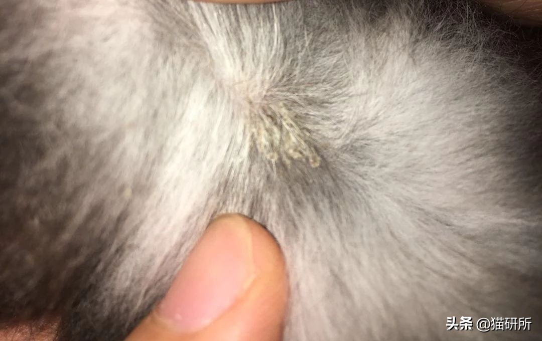
Q3社员701:什么样的状况是猫癣?如何自检主子是否得了猫癣?
A:猫癣常见于面部、耳后、背部、四肢等部位,有环形的鳞屑斑、皮屑、脱毛,可能出现红疹或结痂。

图自社员076
临床的判断通常可用伍德氏灯(详情见:一张图告诉你「伍德氏灯」是个什么灯),灯光下找到的黄绿色荧光就可能是引起猫癣的犬小孢子菌产物了。医生通常会对荧光色部位进行刮片,做进一步显微镜检查,观察皮肤细胞情况。
在家中,首先可以对比掉毛/红疹部位的情况(可参照:医生和猫家长互怼的日常:我家猫长了个包?疱?痘?疹?);同时可配合用验钞灯(阉割版伍德氏灯,有条件还是买正版放心)对犬小孢子菌进行初步排查。
不过,没荧光黄绿也不能算排查完毕,一是因为验钞灯没伍德氏灯功能强大,二是除了98%左右可能是犬小孢子菌,也有约2%的概率为无荧光的其他真菌。(即便是犬小孢子菌,本身也有约30%左右概率不发光)
Q4社员005:真菌都生命力顽强,那主子治愈后,怎么彻底清除环境中的癣菌?
A:癣菌很轻,又能在空气中传播,所以哪里有灰尘和毛发,哪里就可能存在真菌孢子。所以做大扫除的时候,尽量避免用类似干扫把这样的工具把孢子和灰尘“扬”到空中;推荐使用吸尘器、湿拖把、湿抹布等来进行打扫。
可以选择1:10的漂白剂来进行环境消毒,用时尽量通风,带上橡胶手套等防护。
最主要的一项,把主子所有玩具、用品,以及铲屎的床上用品、毛衣外套等进行彻底清洗和消毒。
Q5社员970:剃毛是不是也容易得猫癣?
A:剃毛这个问题,之前还聊得蛮多,也很详细全面,给个传送门:猫癣老不好?看看你是不是也做错了这5件事!(误区4:猫癣治疗一定要剃毛)
Q6社员239:猫癣既然是真菌感染,会传染给人。那么人身上的真菌也会传染给猫吗?
A:对!(提问的真是个小机灵鬼,典型的自问自答式玩家)
真菌主要通过接触传染,不仅人身上的可能传染给猫(所以别光顾着给猫上药,你也要老老实实洗澡爱干净讲卫生);更多的可能是猫反复接触到被污染的物品,这其中的重灾区主要集中在针头、床单、被罩等。
Q7社员733:猫癣是潜伏的吗?就是说只要免疫力下降了就会得猫癣吗?
A:真菌可能在干燥环境中存活一年以上,所以主子的毛发上可能存在癣菌。若主子自身“体弱抵抗力不足”,癣菌就会趁虚而入,侵入机体了(如果环境中没有癣菌,也就没啥可能得猫癣了)。
不过严格来说,这个不叫“潜伏”,因为潜伏是说病原体(癣菌)已经侵入机体但是还不表现临床症状(如HIV在人体平均潜伏期8-9年,无任何症状)。
Q8社员367:猫癣和真菌感染具体有何区别?
A:猫癣菌就是真菌的一种呀。
猫癣<真菌感染<皮肤病,大概是这样一种关系呢。
优质回答区
<以下回答内容仅代表社员个人观点>
Q1你家猫主子得过猫癣吗?你是如何治疗的?
A1:社员951:我家主子胡椒粉得过猫癣。2个月的时候成为家里一员,刚开始体弱、营养不良,又没有细心照顾,3个月时得了猫癣。

刚开始有拉稀、走路不稳的情况,之后病情加重,粪便带血,猫发脱落,食欲不振等。我们去了2家医院才治好。第一家医院说是营养不良,买了补铁补锌补钙的药,排除了猫瘟,打了吊针,但是病情都是时好时坏。

图自社员951
后来换到了第二家医院,做了检查,说是耳螨引起的猫癣,之后打了几次针,吃了一些药,也涂了一些药。以后一个月左右好,秃毛的地方都慢慢长毛了。现在活泼乱跳!感恩第二次遇到了一个好医生!
A2:社员024:没得过。在养猫之前做了足够的功课,知道猫癣治疗麻烦,所以偶重点在预防。一是猫咪不要太经常洗澡,要多晒太阳。二是家里卫生要搞好,每天扫地拖地擦擦,家里边边角角猫咪活动范围都要注意清理。
朋友的猫得过猫癣,宠物医生给猫开了喷雾经常喷喷,戴头套防止舔舐,现在已经痊愈了。
Q2除了猫,人和狗也会感染猫癣吗?
A1:社员555:人会被传染的。我朋友救助了一只一个月左右有猫癣的小橘猫,后来家里大猫被传染了,她自己也被传染了,跑去医院看皮肤科才确诊是猫癣。
可以治愈。需要花时间搽药,并做好室内卫生,保持清洁干燥的环境很重要。
Q3有没有猫癣疫苗可以打一打来预防?
A1:社员544:据了解应该没有这类预防疫苗,其实猫癣的爆发基本上是猫咪自身的皮肤免疫力下降引起的,其实很多猫本身就带有癣的孢子,但在皮肤状态好,很健康的情况下不会得,皮肤抵抗力下降了才会发作。
所以很多猫即使在家不出门,又没有别的猫来的情况下也有可能会得猫癣。因此我们不仅要做环境的清洁预防,对猫咪皮肤自身的营养补充也是必要的。
Q4猫咪皮肤病都叫做猫癣吗?
A1:社员544:不都是…猫癣是一种真菌引起的,多发部位在脸部、躯干,四肢和尾部等处,出现圆形或者椭圆形的的癣斑,上面覆有灰色的鳞屑,毛色会变得粗糙,癣斑部分的被毛一撮一撮脱落折断或者脱落折断或者脱落。
A2:社员709:不是所有皮肤病都叫猫癣,猫癣应该属于真菌感染类的。还有其他的皮肤病类型,比如:寄生虫类 、细菌感染类、病毒类皮肤病、物理性皮肤病、化学类皮肤病、皮肤或者药物过敏等多种因素引起的皮肤病。
社员关于猫癣的讨论
除了上述问答,社群里的小伙伴也针对猫癣问题进行了讨论。
@社员926:补充维生素,多晒太阳。如果家里有得猫癣的主子,别的主子剪毛的确容易传染。
@社员892:我觉得跟环境关系特别大,我家小七在原来家的时候,是一楼,就比较潮湿的那种。(容易得)
@社员384:我都没擦药,就戴圈防舔防抓,正常饮食,不到一个月就好了。有人说洁尔阴也可以,盐酸特比萘芬乳膏也可以,不过面积不大没扩散的,直接晒太阳增强营养补充vb应该就行,都不用上药。因为湿气大生的小红点算不算猫癣呢?我当时把家里娃娃都弄走,家里用紫外线臭氧灯熏了半个小时,孢子真菌太可怕了,会飞,对对对,当时给它隔离一间房,天天不开心 后来想着我家大猫抵抗力都很好,没隔离了,放出来就撒欢儿,没管,七月中旬猫癣现在毛反正都已经长齐了。
@社员482:发现达克宁对猫癣还真有奇效…
@社员432:洁尔阴可以,但洁尔阴要稀释,要不然太刺激。我家猫就耳朵那里有一点,不擦药就扩散,擦药+晒太阳+吃维b,折腾了一个多月。不过现在她抵抗力好了,再也没犯过。所以感觉还是抵抗力比较重要,多吃肉。
@社员601:猫癣不严重的话,喂得好可以自愈。

图自社员601
@社员586:补充VB6,用麻辣洗、神仙水、皮特芬,此外,补充营养。
@社员589:猫癣,就用维达臣,麦高臣,没有副作用而且好用。
@社员050:曾经喵子猫癣,抱着晒太阳,然后怼维B,不知道咋就好了还买了大蒜片。
@社员042:剃了毛,不准去厕所,也晒了太阳,罐头里混了维B粉,还用了外用药。
今天的社群分享到这里就完全结束啦~感谢各位社员的投稿
////////
下课!

本文为猫研所原创,谢绝任意转载