这个周末“山竹”火了。针对投资者最关心的明天深市和港股能否正常开市,媒体记者采访了深交所和港交所。


港交所发言人回应称,如果17日7点半之后香港天文台还是挂着8号风球的话,港股早上就不开市了。如果中午12点8号风球还没有解除,则全天不开市。


深交所相关人士也透露,如果没有通知就照常开市。据了解,A股历史上,还没有过因台风停市的情况。
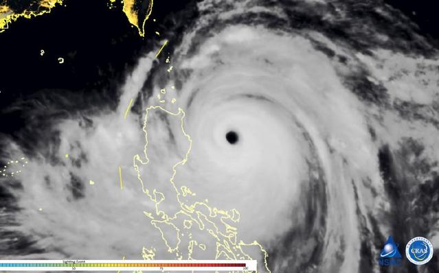
此前官方消息显示,预计,#台风山竹#今明天将持续影响华南等地。16日20时至17日20时,华南大部、贵州、湖南西南部、云南东部、海南岛及江淮东部、江南东北部、台湾岛东部等地有大到暴雨,其中广东西部和北部、广西东部和南部等地的部分地区有大暴雨,局地特大暴雨(250~260毫米)。18日,影响趋于结束。

从目前来看,A股市场整体还处于探底阶段,行情是十做九套的概率!投资者普遍谨慎,此次台风有分析称在目前市场低*情迷**况之下影响不大,有网友甚至调侃道,这样的天气竟然还开市赔钱、割韭菜,不知道是目前的自然灾害天气恶劣还是我们面对的资本市场恶劣?