都说“十猫九癣”,你有过被猫癣支配的恐惧吗?
猫癣作为猫咪的常见皮肤病,说大不大,说小不小,治疗起来虽说不难,但所需耗费的时间很长,搞不好还能传染给人,太折磨了。兽医小明的一个朋友曾经就被猫癣感染了全家,至今她都难以忘记那段浑身瘙痒难熬的日子。
话不多说,今天咱们就来聊聊如何预防和治疗猫癣。

猫癣是什么?是如何滋生的?该如何预防?
猫癣是由真菌感染引起的一种皮肤病,大部分猫癣的致病菌是犬小孢子菌,其次是须毛癣菌和马拉色菌。这几种真菌的生命力都比较顽强,尤其是犬小孢子菌,它能存活的时间甚至可以用年来计算,所以如果宠物感染了它们,一定要及时治疗。
我们发现,在春夏季节,感染猫癣的宠物尤其多,因为这两个季节对真菌繁殖非常有利,潮湿的环境下,最适合真菌生长。
所以,既然要预防猫癣,那就应该从源头上断绝真菌和细菌的滋生,给宠物们提供一个干燥而又卫生的生活环境,让真菌没有机会存活。平时多打开窗户通通风消消毒,有条件的铲屎官还可以买除湿器回来,改善室内潮湿。

不仅如此,当宠物们洗完澡后,一定要帮它们吹干毛发,因为许多成年宠物感染猫癣,就是因为毛发没干导致的,铲屎官可千万别大意了。
另外,猫咪感染猫癣除了环境因素以外,跟它们的身体素质也有一定的关系,猫癣最容易找上抵抗力差的猫咪,如果猫咪很健康很强壮,感染猫癣的概率其实也会降低不少,所以主人平时也要多给猫咪增强营养,提高猫咪的抵抗力。
猫咪得了猫癣怎么办?弃猫可不是好办法!
很多铲屎官买猫的时候没注意,稀里糊涂就把患有猫癣的猫买回来了,上网一搜才知道,原来猫癣是人畜共患病,还会传染给人,少数极端的铲屎官可能还会产生弃猫的想法,但兽医小明想说,弃猫可不是好办法哦。

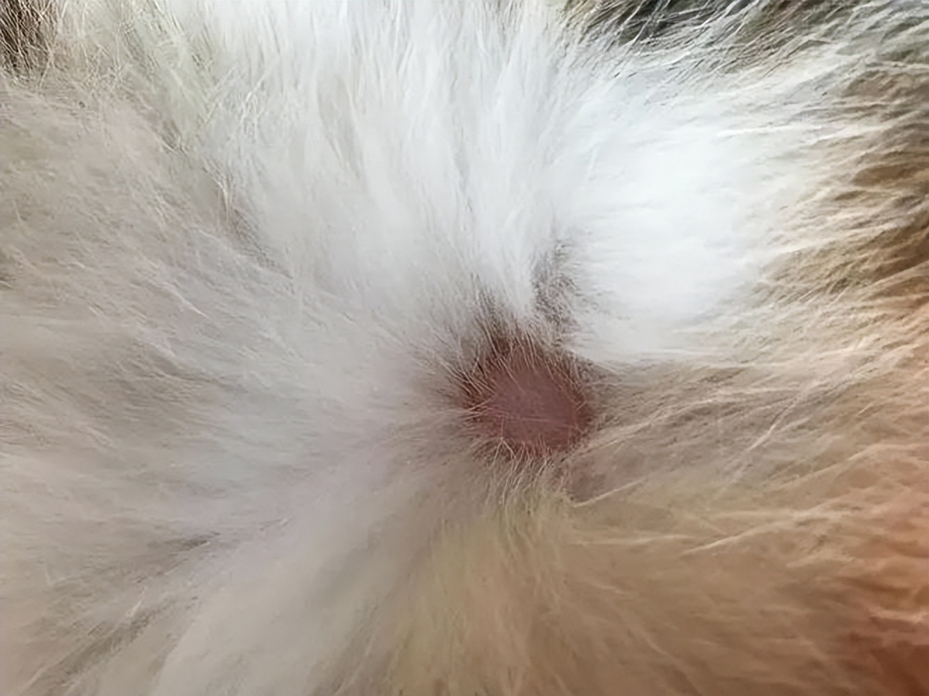
咱们先来看看猫咪患了猫癣的症状。
感染猫癣后,猫咪身上的部分毛发是会以“撮”为单位脱落的,然后你扒开毛发观察猫咪的皮肤后会发现,猫咪的皮肤上会出现皮屑以及环状红斑,还有结痂的症状,如果这些皮肤特征猫咪都有,差不多就是感染猫癣了。如果你的家里不止一只猫,那么首先要做的是把这只患病猫咪跟其他宠物隔离,防止感染,后续就是给猫咪治疗了。
主人可以通过为猫咪的患处涂抹药膏,以及给猫咪药浴的方式给猫咪治疗,治疗期间,可能需要主人花费的精力比较多,但只要坚持,猫癣是可以治疗好的,另外,铲屎官得积极带猫咪晒太阳,对治愈猫癣也很有效哦。

另外,如果主人给猫咪治疗猫癣过程中不幸也被传染了,也不要害怕!去药店买点乳膏涂抹就好了,咱们人的身体素质好,一般涂抹几天就能自愈了,所以可千万别因为猫咪感染猫癣就焦虑,更别有弃猫的念头啊。
兽医小明想说,既然咱们养了宠物,就不要害怕宠物会生病,在它们生病时,做到对它们的不离不弃才是负责任的表现。
宠物幼时容易生病是很正常的,只要将它们养大就好了,到时候你会庆幸,当初幸好没丢了它们呢。
图片来源于网络,如有疑问可以联系兽医小明。
如果有宠物健康和养宠问题,关注兽医小明进行咨询。